_Viktora_Tichy_coll_Saleman_Vill_Seram_Island_Indonesia.jpg)
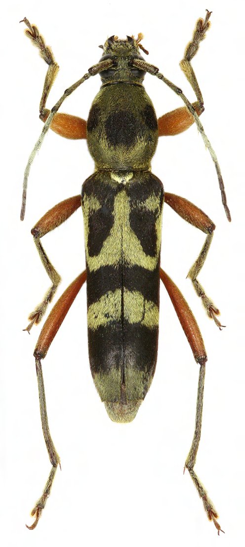
Specimen Type: holotype Sex: m Institution: Tichy Collection Photographer: Petr Viktora Collection Location: Saleman Village, Seram Island, Indonesia 69992
|
_Viktora_Tichy_coll_Saleman_Vill_Seram_Island_Indonesia.jpg)
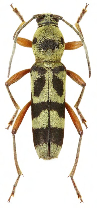
Specimen Type: paratype Sex: f Institution: Tichy Collection Photographer: Petr Viktora Collection Location: Saleman Village, Seram Island, Indonesia 69993
|