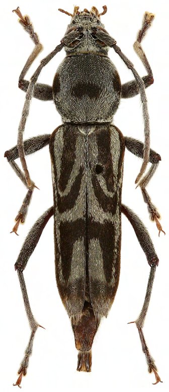
_Viktora_coll_Sipitang_Sabah_Borneo.jpg)
Specimen Type: holotype Sex: m Institution: Viktora Collection Photographer: Petr Viktora Collection Location: Sipitang, Sabah, Borneo 69994
|
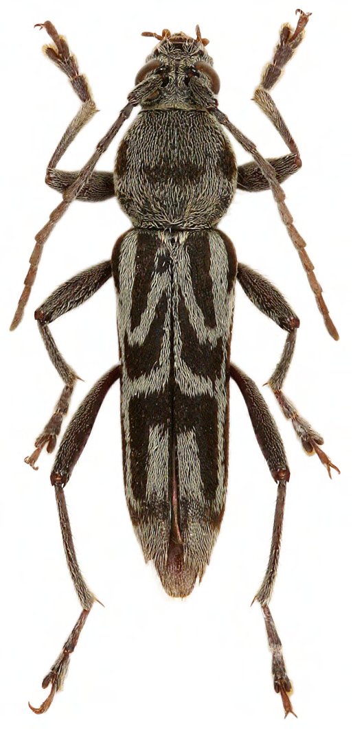
_Viktora_coll_Crocker_Range_Sabah_Borneo.jpg)
Specimen Type: paratype Sex: f Institution: Viktora Collection Photographer: Petr Viktora Collection Location: Crocker Range, Sabah, Borneo 69995
|