_Viktora_coll_Maibri_Vill_Manokwari_Arfak_Mtns_W_PNG.jpg)
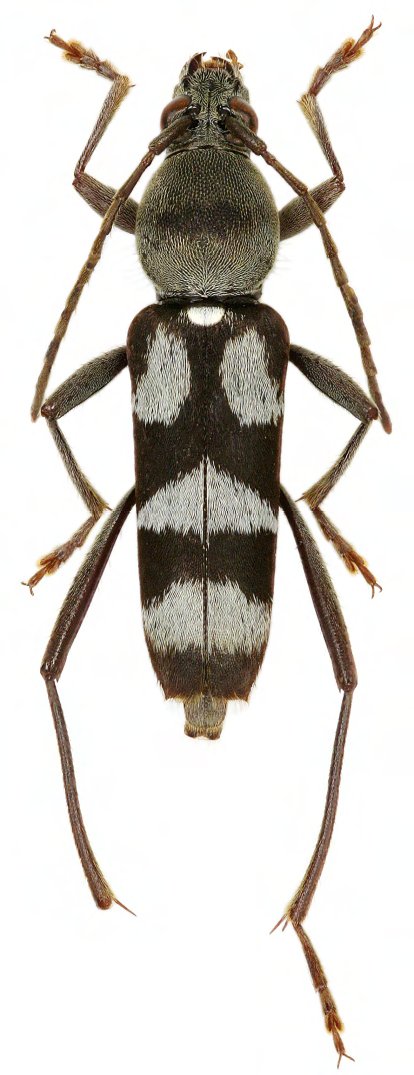
Specimen Type: holotype Sex: m Institution: Viktora Collection Photographer: Petr Viktora Collection Location: Maibri Village, Manokwari, Arfak Mountains, W Papua New Guinea 69975
|
_Viktora_coll_Maibri_Vill_Manokwari_Arfak_Mtns_W_PNG.jpg)
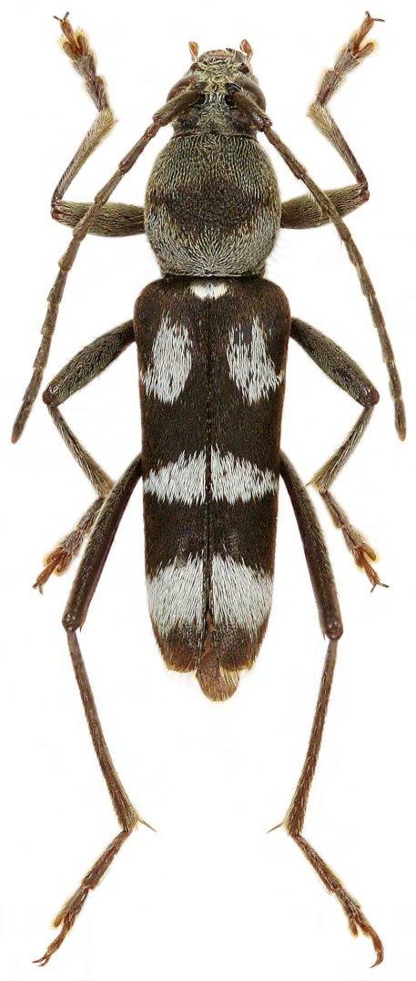
Specimen Type: paratype Sex: f Institution: Viktora Collection Photographer: Petr Viktora Collection Location: Maibri Village, Manokwari, Arfak Mountains, W Papua New Guinea 69976
|