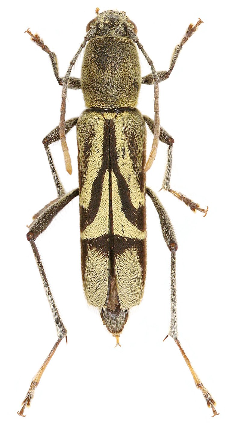
_Viktora_coll_Mt_Jasar_Tanah_Rata_Cameron_Highlands_W_Malaysia.jpg)
Specimen Type: holotype Sex: m Institution: Viktora Collection Photographer: Petr Viktora Collection Location: Mt Jasar, Tanah Rata, Cameron Highlands, W Malaysia 56435
|
_Viktora_coll_Mt_Jasar_Tanah_Rata_Cameron_Highlands_W_Malaysia.jpg)
Specimen Type: paratype Sex: f Institution: Viktora Collection Photographer: Petr Viktora Collection Location: Mt Jasar, Tanah Rata, Cameron Highlands, W Malaysia 69968
|