_Viktora_coll_Wasisi_Village_Malaita_Solomon_Isl.jpg)
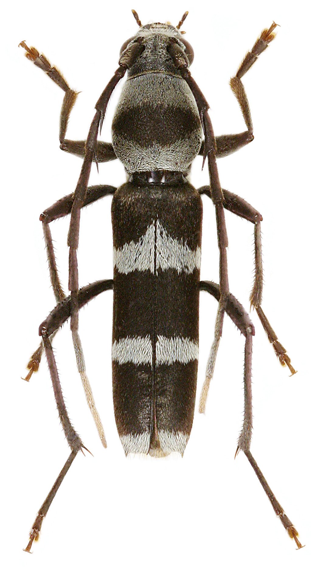
Specimen Type: holotype Sex: m Institution: Viktora Collection Photographer: Petr Viktora Collection Location: Wasisi Village, Malaita Island, Solomon Islands 69969
|

Specimen Type: probably this taxon Institution: CAS California Academy of Sciences, San Francisco, CA, USA Photographer: Larry G. Bezark Determiner: Tomas Tichy Collection Location: Florida Islands, Solomon Islands 35130
|