New Search Family, Subfamily and Tribe List

SubFamily Cerambycinae

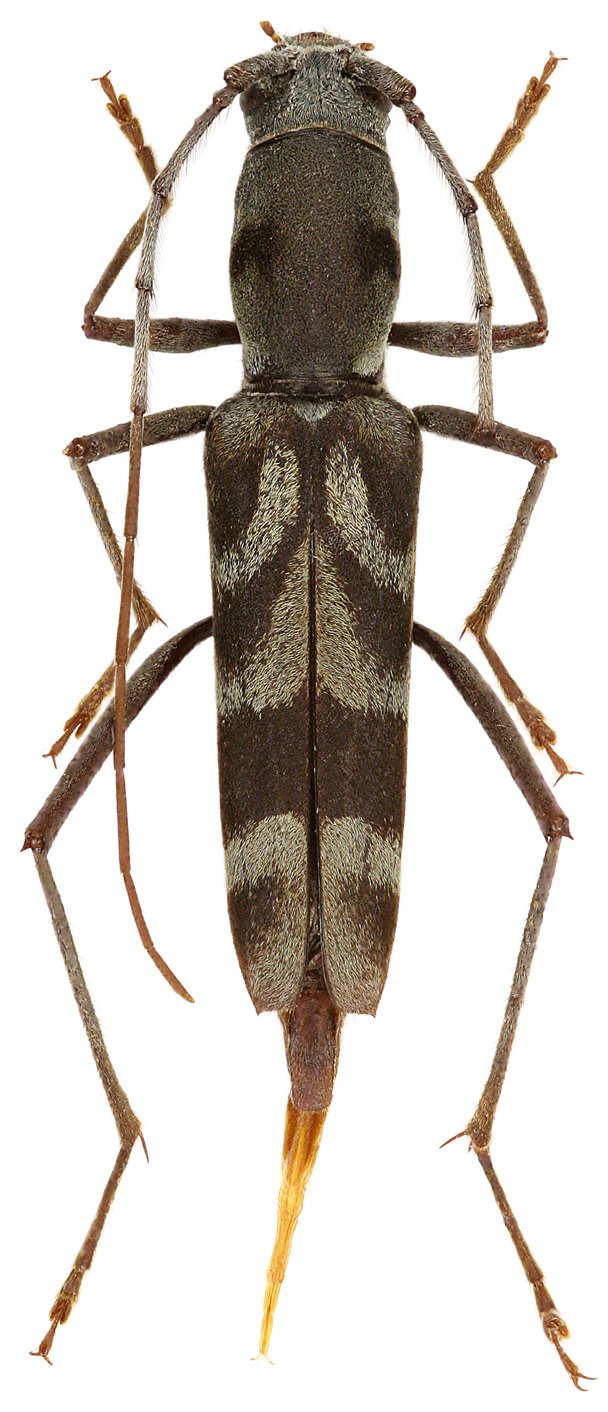
Tribe Clytini
Demonax andreasi Viktora 2019

Specimen Type: holotype
Sex: f
Institution: Viktora Collection
Photographer: Petr Viktora
Collection Location: Me Linh Biological Station, Ngoc Thanh, Thai Nguyen Province, Vietnam
69970

130425