_Huang_LPSSY_Gaoligongshan_Reserve_Baoshan_Yunnan_China.jpg)
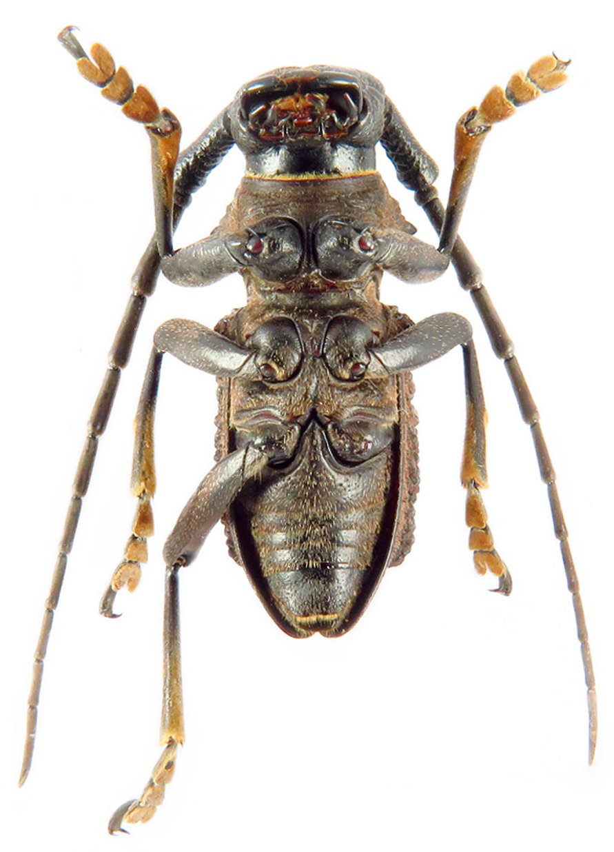
Specimen Type: holotype Sex: m Institution: LPSSY School of Biological Sciences and Technology, Liupanshui Normal University, Liupanshui, China Photographer: Huang Collection Location: Gaoligongshan Nature Reserve, Baoshan City, Yunnan, China 69965
|
_Huang_LPSSY_Gaoligongshan_Reserve_Baoshan_Yunnan_China.jpg)
Specimen Type: holotype Sex: m Institution: LPSSY School of Biological Sciences and Technology, Liupanshui Normal University, Liupanshui, China Photographer: Huang Collection Location: Gaoligongshan Nature Reserve, Baoshan City, Yunnan, China 69966
|
_Huang_LPSSY_Gaoligongshan_Reserve_Baoshan_Yunnan_China.jpg)
Specimen Type: holotype Sex: m Institution: LPSSY School of Biological Sciences and Technology, Liupanshui Normal University, Liupanshui, China Photographer: Huang Collection Location: Gaoligongshan Nature Reserve, Baoshan City, Yunnan, China 69967
|
|