New Search Family, Subfamily and Tribe List

SubFamily Cerambycinae

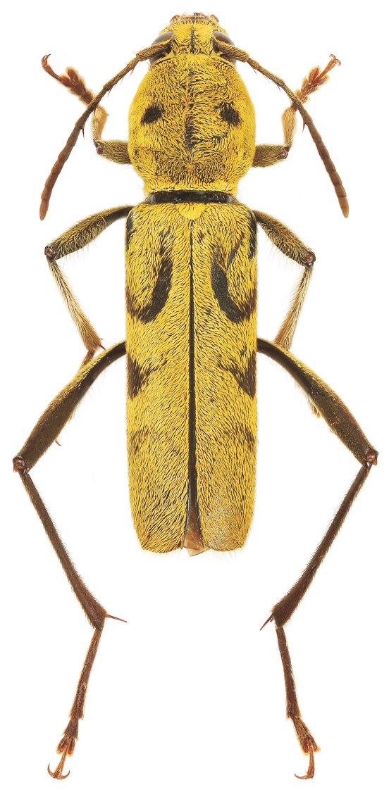
Tribe Clytini
Xylotrechus animosus Viktora 2019

Specimen Type: holotype
Sex: m
Institution: Viktora Collection
Photographer: Petr Viktora
Collection Location: Ngoc Linh, Kon Tum Province, Vietnam
69871

130425