New Search Family, Subfamily and Tribe List

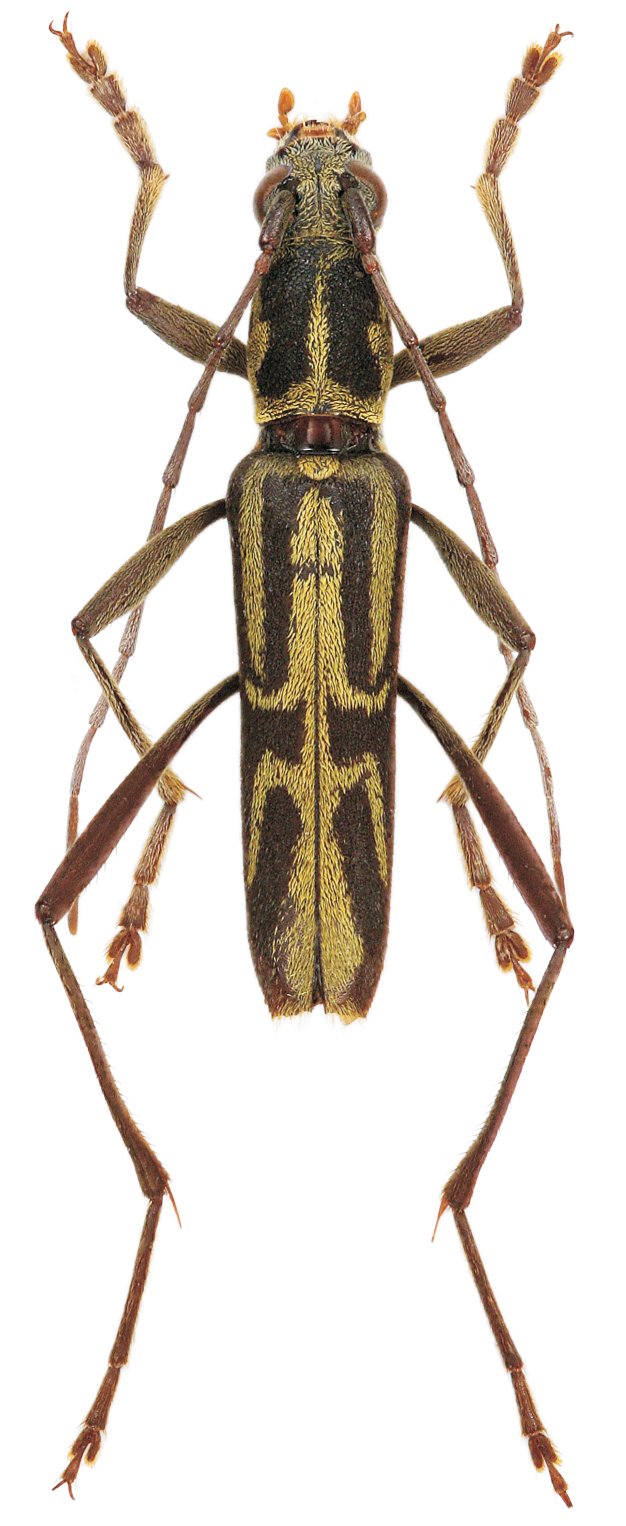
SubFamily Cerambycinae

Tribe Clytini
Rhaphuma gloria Viktora 2019

Specimen Type: holotype
Sex: m
Institution: Viktora Collection
Photographer: Petr Viktora
Collection Location: road from Tapah to Ringlet, Perak, Malaysia
69863

130425