_Viktora_coll_Mt_Phu_Pane_Hua_Phan_Prov_NE_Laos.jpg)
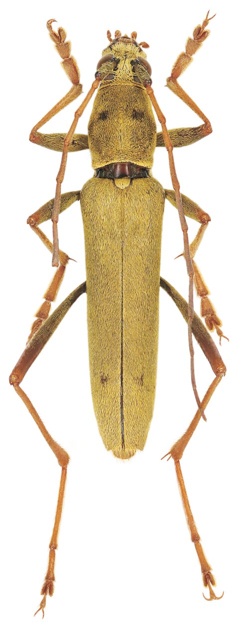
Specimen Type: holotype Sex: m Institution: Viktora Collection Photographer: Petr Viktora Collection Location: Mt Phu Pane, Hua Phan Province, NE Laos 69861
|
_Viktora_coll_Mt_Phu_Pane_Hua_Phan_Prov_NE_Laos.jpg)
Specimen Type: paratype Sex: f Institution: Viktora Collection Photographer: Petr Viktora Collection Location: Mt Phu Pane, Hua Phan Province, NE Laos 69862
|