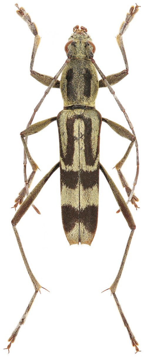
_Viktora_coll_Landai_Village_Mt_Sanggul_W_Sumatra.jpg)
Specimen Type: holotype Sex: m Institution: Viktora Collection Photographer: Petr Viktora Collection Location: Landai Village, Mt Sanggul, W Sumatra 69856
|
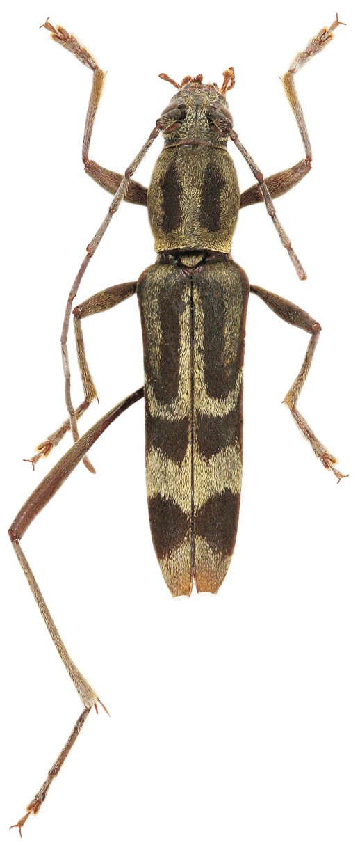
_Viktora_coll_Landai_Village_Mt_Sanggul_W_Sumatra.jpg)
Specimen Type: paratype Sex: f Institution: Viktora Collection Photographer: Petr Viktora Collection Location: Landai Village, Mt Sanggul, W Sumatra 69857
|