New Search Family, Subfamily and Tribe List

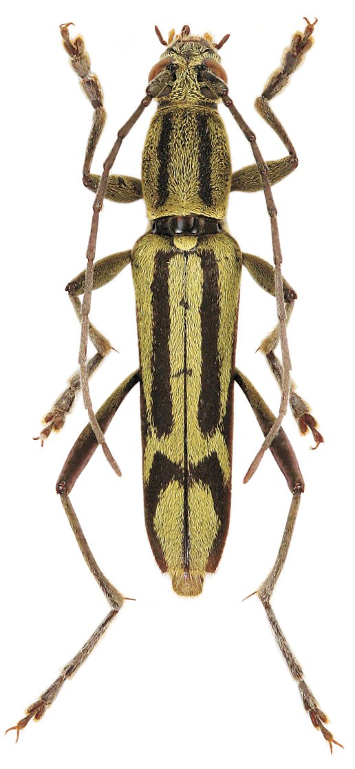
SubFamily Cerambycinae

Tribe Clytini
Rhaphuma anima Viktora 2019

Specimen Type: holotype
Sex: m
Institution: Viktora Collection
Photographer: Petr Viktora
Collection Location: Landai Village, Mt Sanggul, W Sumatra
69855

130425