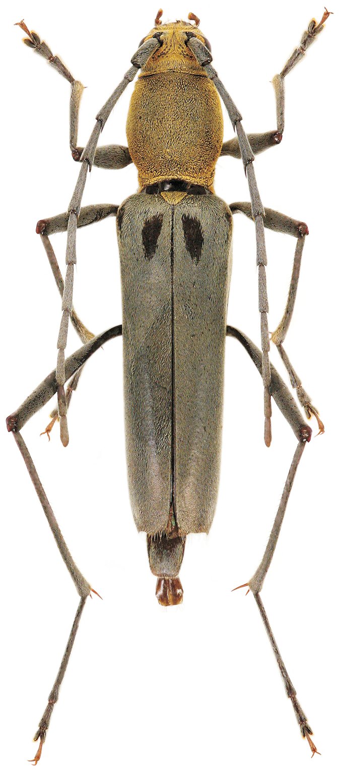
_Viktora_coll_Ngoc_Linh_Kon_Tum_Vietnam.jpg)
Specimen Type: holotype Sex: m Institution: Viktora Collection Photographer: Petr Viktora Collection Location: Ngoc Linh, Kon Tum Province, Vietnam 69844
|
_Viktora_coll_Ngoc_Linh_Kon_Tum_Vietnam.jpg)
Specimen Type: paratype Sex: f Institution: Viktora Collection Photographer: Petr Viktora Collection Location: Ngoc Linh, Kon Tum Province, Vietnam 69845
|