New Search Family, Subfamily and Tribe List

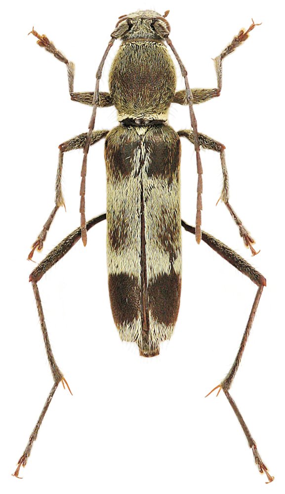
SubFamily Cerambycinae

Tribe Clytini
Demonax dactylogramma Viktora 2019

Specimen Type: holotype
Sex: f
Institution: Viktora Collection
Photographer: Petr Viktora
Collection Location: Ngoc Linh, Kon Tum Province, Vietnam
69843

130425