New Search Family, Subfamily and Tribe List

SubFamily Cerambycinae

Tribe Clytini
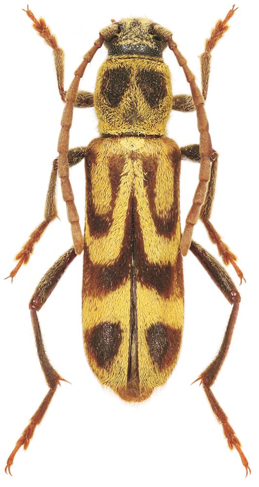
Clytus chiangmaiensis Viktora 2019

Specimen Type: holotype
Sex: f
Institution: Viktora Collection
Photographer: Petr Viktora
Collection Location: Ban Sanpakia Village, Chiang Mai, Thailand
69841

130425