_Viktora_coll_Barana_Village_Guadalcanal_Solomon_Islands.jpg)
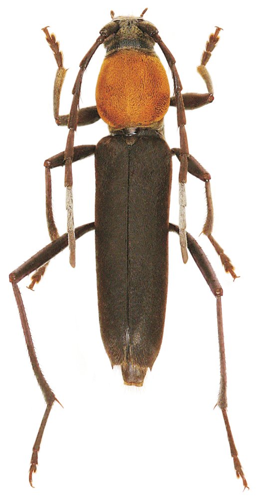
Specimen Type: holotype Sex: m Institution: Viktora Collection Photographer: Petr Viktora Collection Location: Barana Village, Guadalcanal, Solomon Islands 69839
|
_Viktora_coll_Barana_Village_Guadalcanal_Solomon_Islands.jpg)
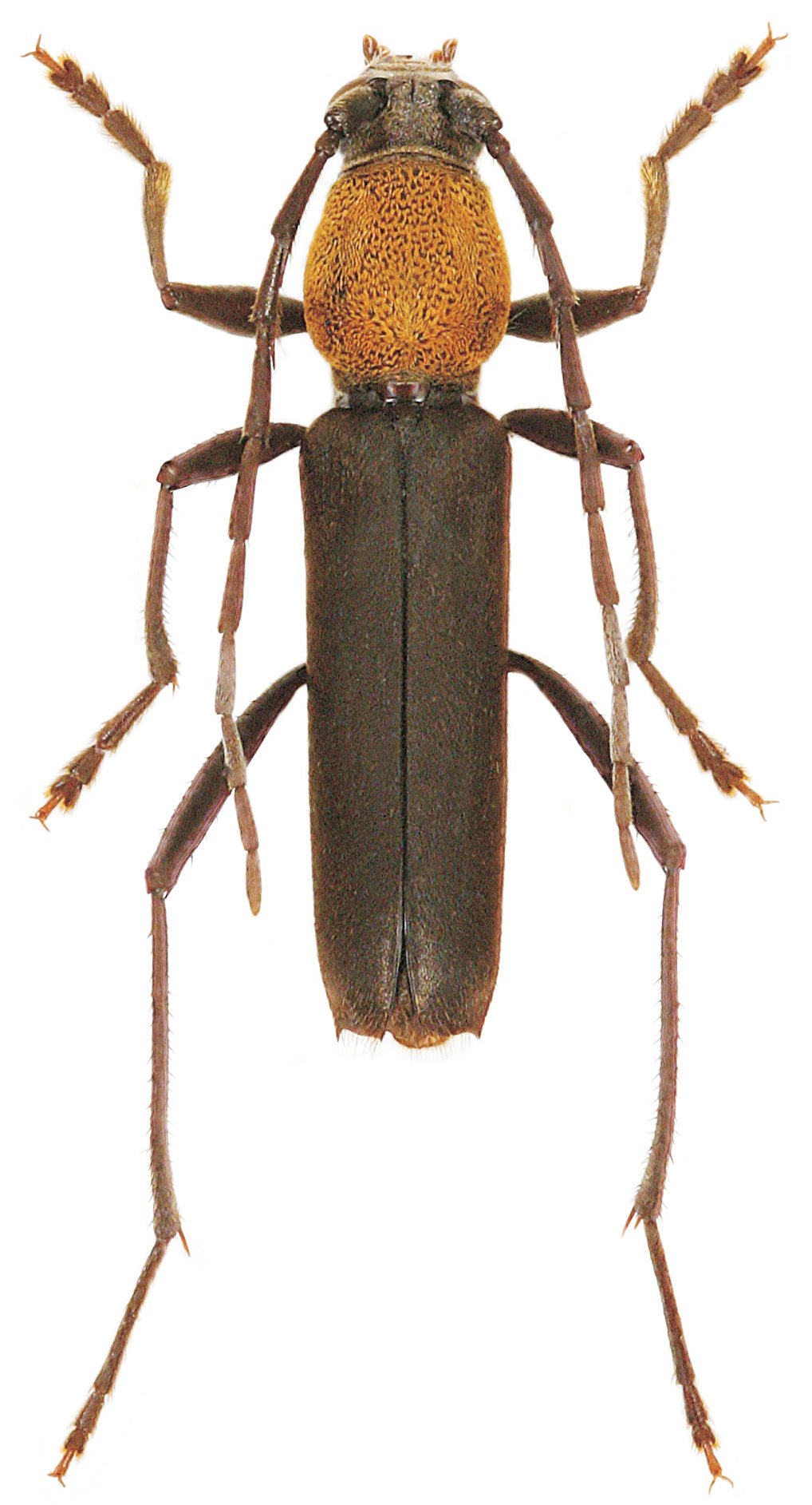
Specimen Type: paratype Sex: f Institution: Viktora Collection Photographer: Petr Viktora Collection Location: Barana Village, Guadalcanal, Solomon Islands 69840
|