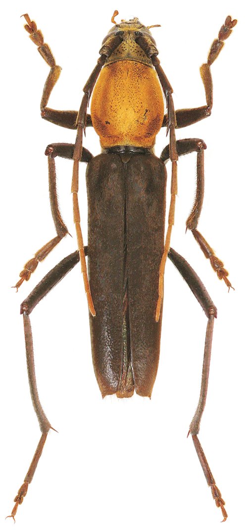
_Viktora_coll_Lungara_River_Guadalcanal_Solomon_Islands.jpg)
Specimen Type: holotype Sex: m Institution: Viktora Collection Photographer: Petr Viktora Collection Location: Lungara River, Guadalcanal, Solomon Islands 69837
|
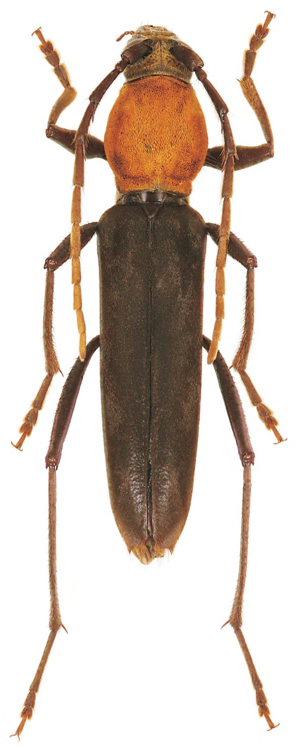
_Viktora_coll_Lungara_River_Guadalcanal_Solomon_Islands.jpg)
Specimen Type: paratype Sex: f Institution: Viktora Collection Photographer: Petr Viktora Collection Location: Lungara River, Guadalcanal, Solomon Islands 69838
|