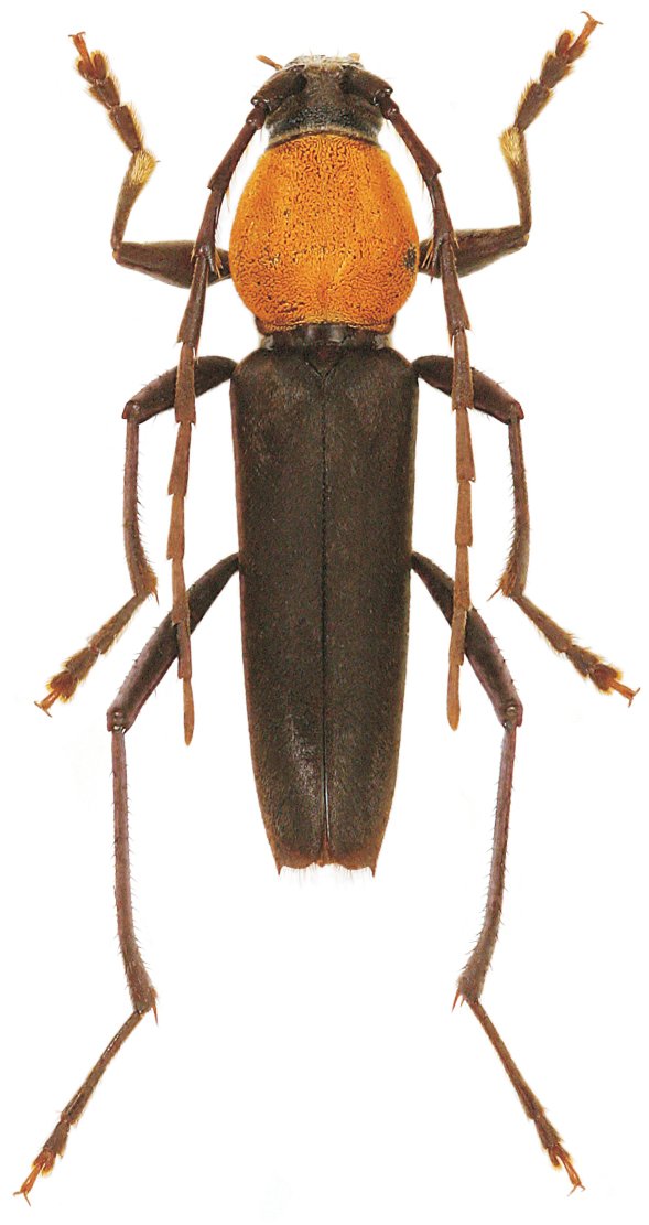
_Viktora_coll_Barana_Village_Guadalcanal_Solomon_Islands.jpg)
Specimen Type: holotype Sex: m Institution: Viktora Collection Photographer: Petr Viktora Collection Location: Barana Village, Guadalcanal, Solomon Islands 69835
|
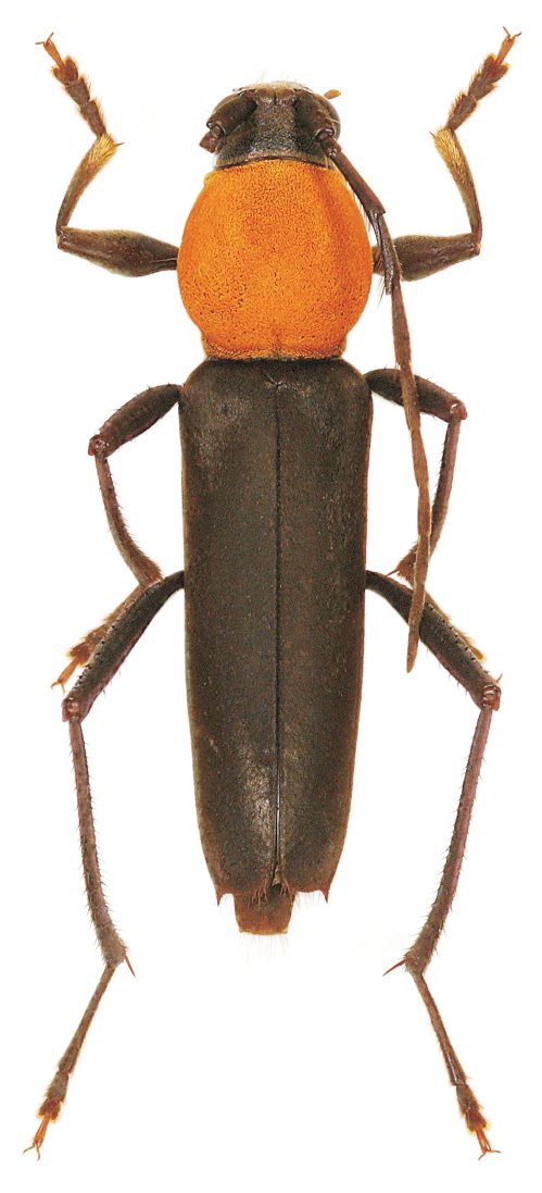
_Viktora_coll_Barana_Village_Guadalcanal_Solomon_Islands.jpg)
Specimen Type: paratype Sex: f Institution: Viktora Collection Photographer: Petr Viktora Collection Location: Barana Village, Guadalcanal, Solomon Islands 69836
|