_Heff_SS_Bot_CNIN_Loberas_Sinaloa_Mexico_SS.jpg)
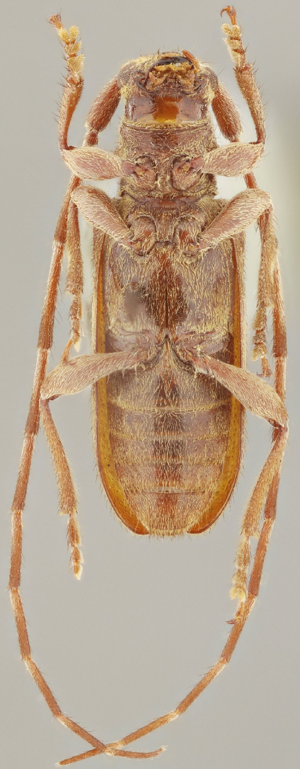
Specimen Type: holotype Sex: m Institution: CNIN Colección Nacional de Insectos, Instituto de Biología (UNAM), Mexico City, Mexico Photographer: Antonio Santos-Silva Collection Location: Loberas, Sinaloa, Mexico 69738
|
_Heff_SS_Bot_CNIN_Loberas_Sinaloa_Mexico_SS.jpg)
Specimen Type: holotype Sex: m Institution: CNIN Colección Nacional de Insectos, Instituto de Biología (UNAM), Mexico City, Mexico Photographer: Antonio Santos-Silva Collection Location: Loberas, Sinaloa, Mexico 69739
|
_Heff_SS_Bot_CNIN_Loberas_Sinaloa_Mexico_SS.jpg)
Specimen Type: holotype Sex: m Institution: CNIN Colección Nacional de Insectos, Instituto de Biología (UNAM), Mexico City, Mexico Photographer: Antonio Santos-Silva Collection Location: Loberas, Sinaloa, Mexico 69740
|
_Heff_SS_Bot_CNIN_Loberas_Sinaloa_Mexico_SS.jpg)
Specimen Type: holotype Sex: m Institution: CNIN Colección Nacional de Insectos, Instituto de Biología (UNAM), Mexico City, Mexico Photographer: Antonio Santos-Silva Collection Location: Loberas, Sinaloa, Mexico 69741
|
_Heff_SS_Bot_CNIN_Loberas_Sinaloa_Mexico_SS.jpg)
Specimen Type: holotype Sex: m Institution: CNIN Colección Nacional de Insectos, Instituto de Biología (UNAM), Mexico City, Mexico Photographer: Antonio Santos-Silva Collection Location: Loberas, Sinaloa, Mexico 69742
|
|