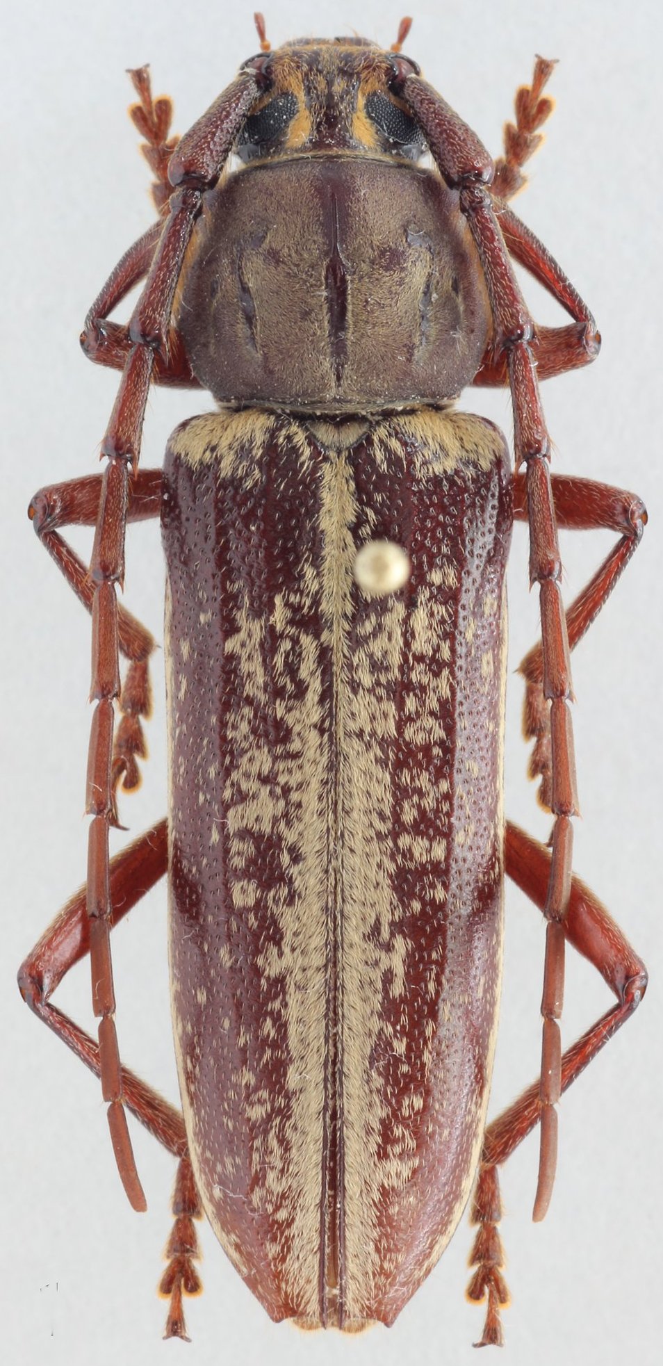
_Vlasak_CMNH_1kmEDarkwood_Beach_Antigua_WI.jpg)
Specimen Type: holotype Sex: m Institution: CMNH Carnegie Museum of Natural History, Pittsburgh, PA, USA Photographer: Josef Vlasak Collection Location: 1 km E Darkwood Beach, Antigua, West Indies 69661
|
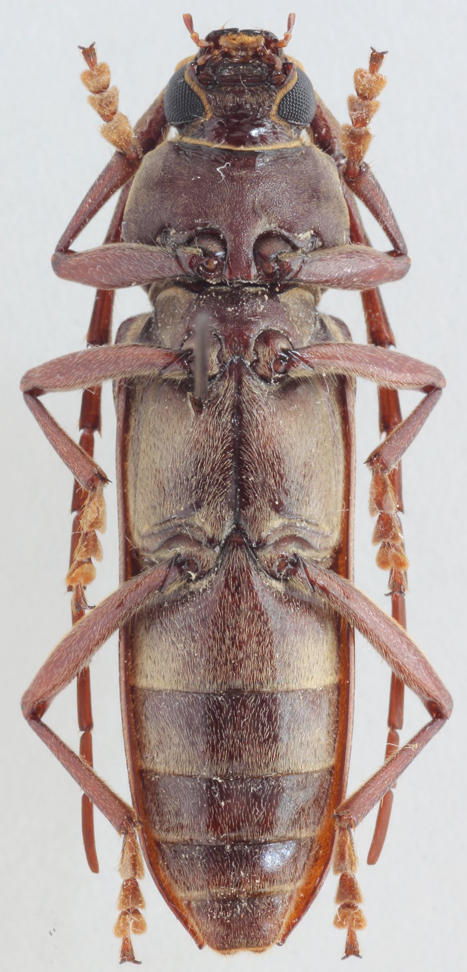
_Vlasak_CMNH_1kmEDarkwood_Beach_Antigua_WI.jpg)
Specimen Type: holotype Sex: m Institution: CMNH Carnegie Museum of Natural History, Pittsburgh, PA, USA Photographer: Josef Vlasak Collection Location: 1 km E Darkwood Beach, Antigua, West Indies 69662
|
_Vlasak_coll_1kmEDarkwood_Beach_Antigua_WI.jpg)
Specimen Type: paratype Sex: f Institution: Vlasak Collection Photographer: Josef Vlasak Collection Location: 1 km E Darkwood Beach, Antigua, West Indies 69664
|
_Vlasak_coll_1kmEDarkwood_Beach_Antigua_WI.jpg)
Specimen Type: paratype Sex: f Institution: Vlasak Collection Photographer: Josef Vlasak Collection Location: 1 km E Darkwood Beach, Antigua, West Indies 69665
|
|