_Viktora_coll_Ringlet_Cameron_Highlands_Perak_W_Malaysia.jpg)
Specimen Type: holotype Sex: m Institution: Viktora Collection Photographer: Petr Viktora Collection Location: Ringlet, Cameron Highlands, Perak, W Malaysia 69552
|
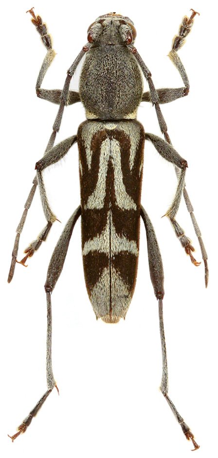
_Viktora_coll_Ringlet_Cameron_Highlands_Perak_W_Malaysia.jpg)
Specimen Type: paratype Sex: f Institution: Viktora Collection Photographer: Petr Viktora Collection Location: Ringlet, Cameron Highlands, Perak, W Malaysia 69553
|