_Yokio_Heffern_TAMU_Ranau_Sabah_Borneo.jpg)
Specimen Type: holotype Sex: m Institution: TAMU Texas A & M University, College Station, Texas, USA Collection Location: Ranau, Sabah, Borneo, Malaysia 69533
|
_Yokio_Heffern_TAMU_Crocker_Range_Sabah_Borneo.jpg)
Specimen Type: allotype Sex: f Institution: TAMU Texas A & M University, College Station, Texas, USA Collection Location: Ranau, Sabah, Borneo, Malaysia 69534
|
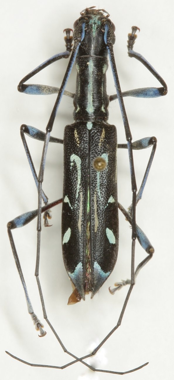
 Yokoi & Heffern coll Sabah, Borneo.jpg)
Specimen Type: paratype Sex: m Institution: Heffern Collection Collection Location: Ranau, Sabah, Borneo 101479
|
 Yokoi & Heffern coll Sabah, Borneo.jpg)
Sex: f Institution: Heffern Collection Collection Location: Ranau, Sabah, Borneo 101480
|
|