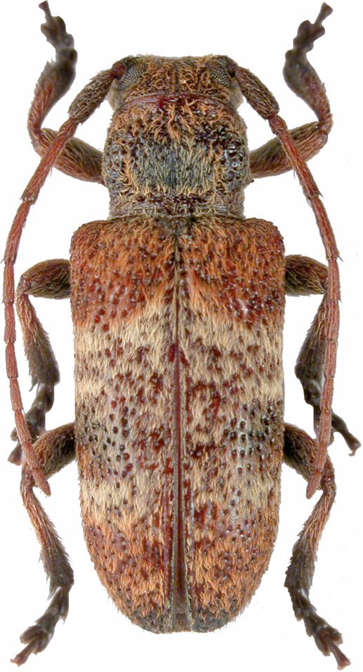
_Holz_coll_Mt_Phou_Pan_Ban_Saleui_Hua_Phan_Laos_LD.jpg)
Specimen Type: holotype Sex: m Institution: Holzschuh Collection Photographer: Lubo Dembický Collection Location: Mt Phou Pan, Ban Saleui, Hua Phan Province, Laos 69527
|
_Holz_coll_Mt_Phou_Pan_Ban_Saleui_Hua_Phan_Laos_LD.jpg)
Specimen Type: paratype Sex: f Institution: Holzschuh Collection Photographer: Lubo Dembický Collection Location: Mt Phou Pan, Ban Saleui, Hua Phan Province, Laos 69528
|