New Search Family, Subfamily and Tribe List

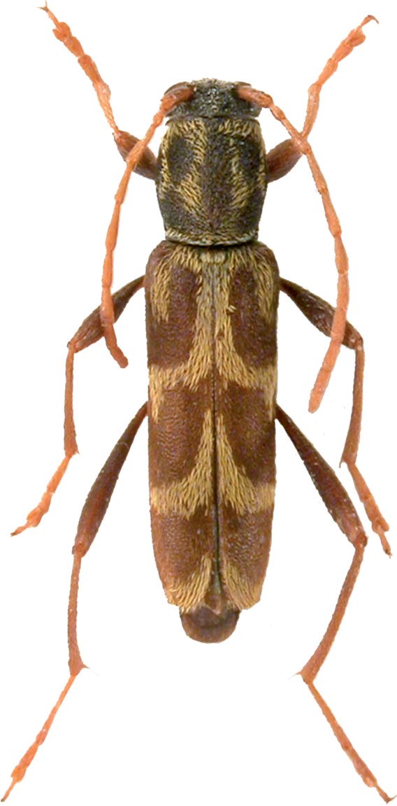
SubFamily Cerambycinae

Tribe Clytini
Clytus depilis Holszchuh 2019

Specimen Type: holotype
Sex: m
Institution: Holzschuh Collection
Photographer: Luboš Dembický
Collection Location: 30 km SE Tabai Shan Mountain, Qing Ling Shan Mountains, Shaanxi, China
69513

130425