_Holzschuh_IZAS_Luoyingou_Dayaoshan_Jinxiu_Guangxi_China_LD.jpg)
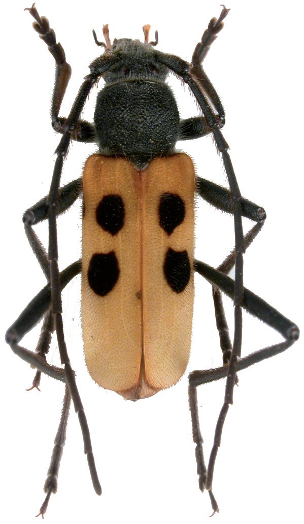
Specimen Type: holotype Sex: m Institution: IZAS Zoological Institute, Chinese Academy of Sciences, Beijing, China Photographer: Lubo Dembický Collection Location: Luoyingou, Dayaoshan, Jinxiu, Guangxi Province, China 69524
|
_Holzschuh_coll_Luoyingou_Dayaoshan_Jinxiu_Guangxi_China_LD.jpg)
Specimen Type: paratype Sex: f Institution: Holzschuh Collection Photographer: Lubo Dembický Collection Location: Luoyingou, Dayaoshan, Jinxiu, Guangxi Province, China 69525
|

Photographer: Arvids Barevskis Collection Location: Mt Dayaoshan, Jinxiu, Guangxi, China 90376
|
|