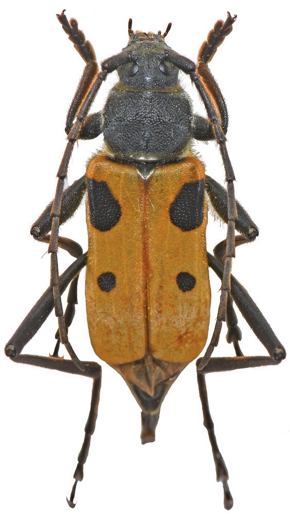
_Holzschuh_IZAS_Changdong_mianbai_Guangxi_China_LD.jpg)
Specimen Type: holotype Sex: m Institution: IZAS Zoological Institute, Chinese Academy of Sciences, Beijing, China Photographer: Lubo Dembický Collection Location: Changdong mianbai, Guangxi Province, China 69522
|
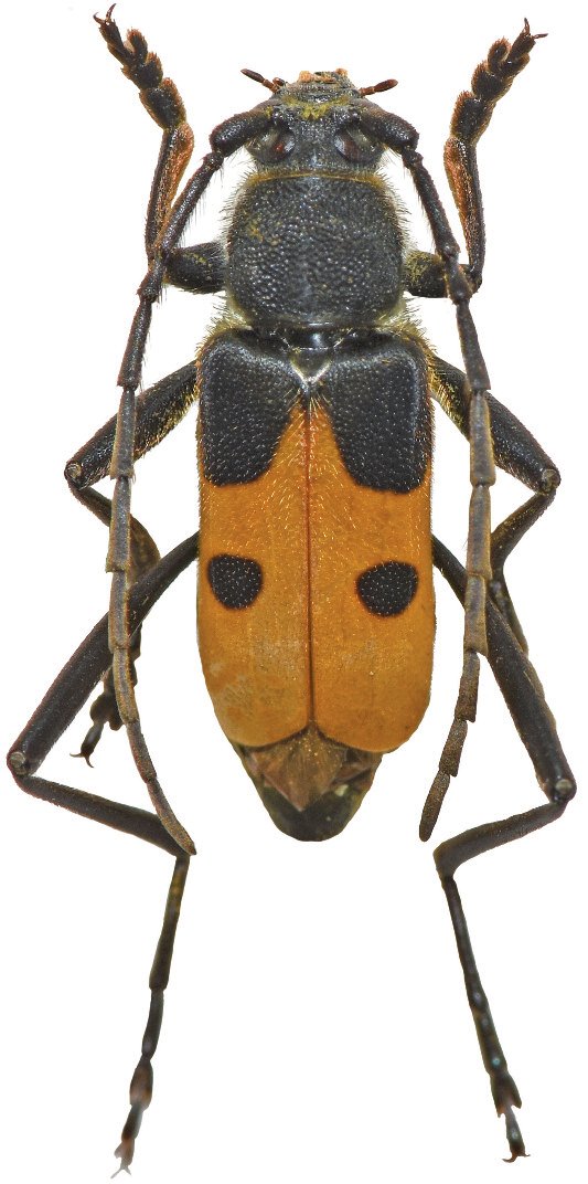
_Holzschuh_coll_Changdong_mianbai_Guangxi_China_LD.jpg)
Specimen Type: paratype Sex: f Institution: Holzschuh Collection Photographer: Lubo Dembický Collection Location: Changdong mianbai, Guangxi Province, China 69523
|