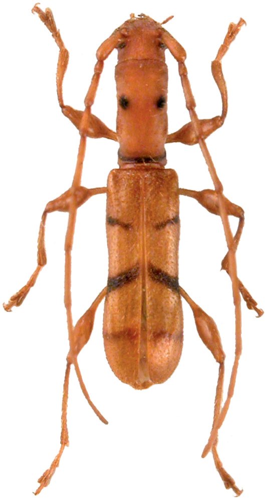
_Holzschuh_IZAS_Damingshan_Wuming_Nanning_Guang_China_LD.jpg)
Specimen Type: holotype Sex: m Institution: IZAS Zoological Institute, Chinese Academy of Sciences, Beijing, China Photographer: Lubo Dembický Collection Location: Damingshan, Wuming, Nanning, Guangxi, China 69520
|
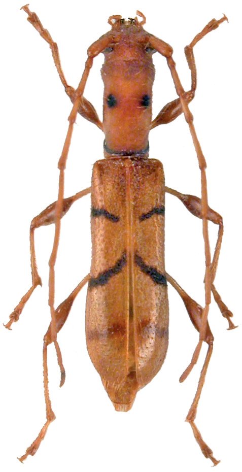
_Holzschuh_coll_Damingshan_Wuming_Nanning_Guang_China_LD.jpg)
Specimen Type: paratype Sex: f Institution: Holzschuh Collection Photographer: Lubo Dembický Collection Location: Damingshan, Wuming, Nanning, Guangxi, China 69521
|