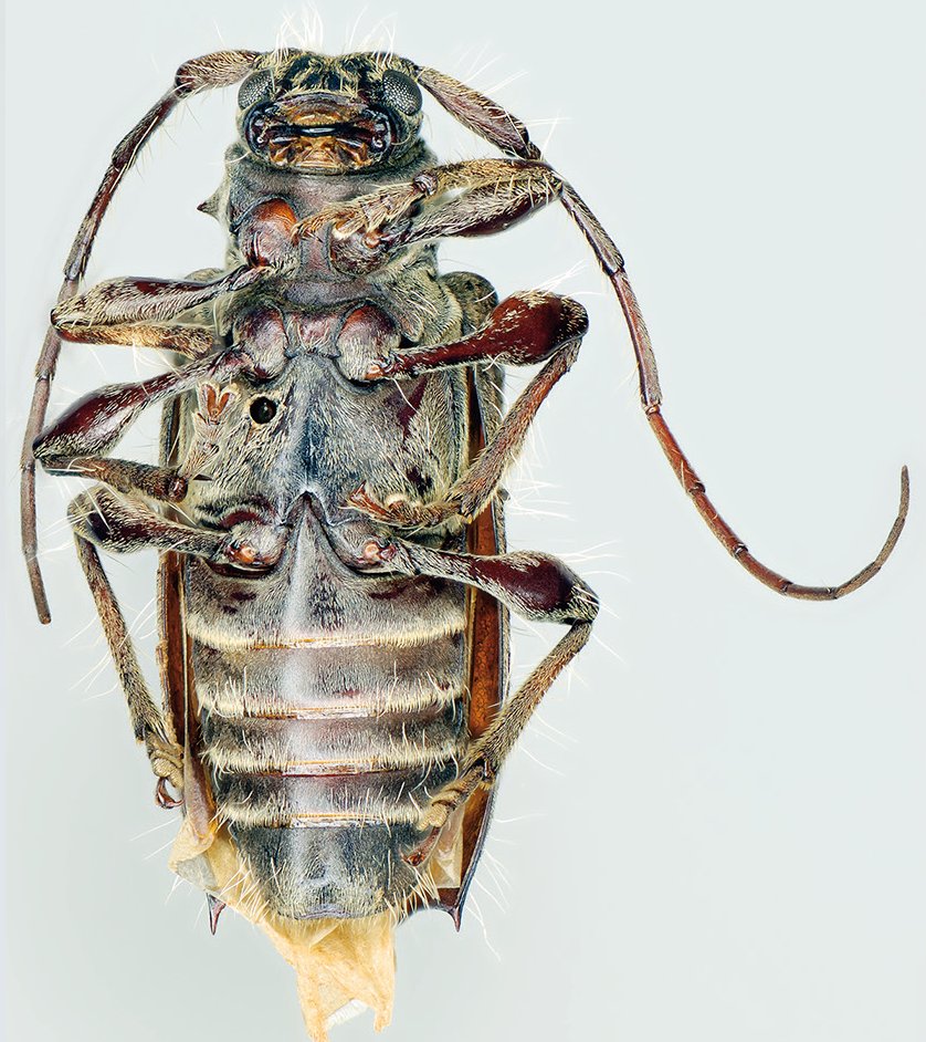
_Nog_Gut_CNIN_Res_Monta_Azules_Chajul_Chiapas_Mexico.jpg)
Specimen Type: holotype Sex: f Institution: UNAM Instituto de Biología, Universidad Nacional Autónoma de México, Mexico City Photographer: Felipe Noguera Collection Location: Reserva Monta Azules, Chajul, Chiapas, Mexico 69430
|
_Nog_Gut_CNIN_Res_Monta_Azules_Chajul_Chiapas_Mexico.jpg)
Specimen Type: holotype Sex: f Institution: UNAM Instituto de Biología, Universidad Nacional Autónoma de México, Mexico City Photographer: Felipe Noguera Collection Location: Reserva Monta Azules, Chajul, Chiapas, Mexico 69431
|
_Nog_Gut_CNIN_Res_Monta_Azules_Chajul_Chiapas_Mexico.jpg)
Specimen Type: holotype Sex: f Institution: UNAM Instituto de Biología, Universidad Nacional Autónoma de México, Mexico City Photographer: Felipe Noguera Collection Location: Reserva Monta Azules, Chajul, Chiapas, Mexico 69432
|
_Nog_Gut_CNIN_Res_Monta_Azules_Chajul_Chiapas_Mexico.jpg)
Specimen Type: holotype Sex: f Institution: UNAM Instituto de Biología, Universidad Nacional Autónoma de México, Mexico City Photographer: Felipe Noguera Collection Location: Reserva Monta Azules, Chajul, Chiapas, Mexico 69433
|
 Nog Gutierrez La Selva, Biol Station, Heredia, Costa Rica SS.jpg)
Sex: f Institution: CSCA California State Collection of Arthropods, Sacramento, California Photographer: Antonio Santos-Silva Collection Location: La Selva, Biological Station, Heredia, Costa Rica 101289
|
|