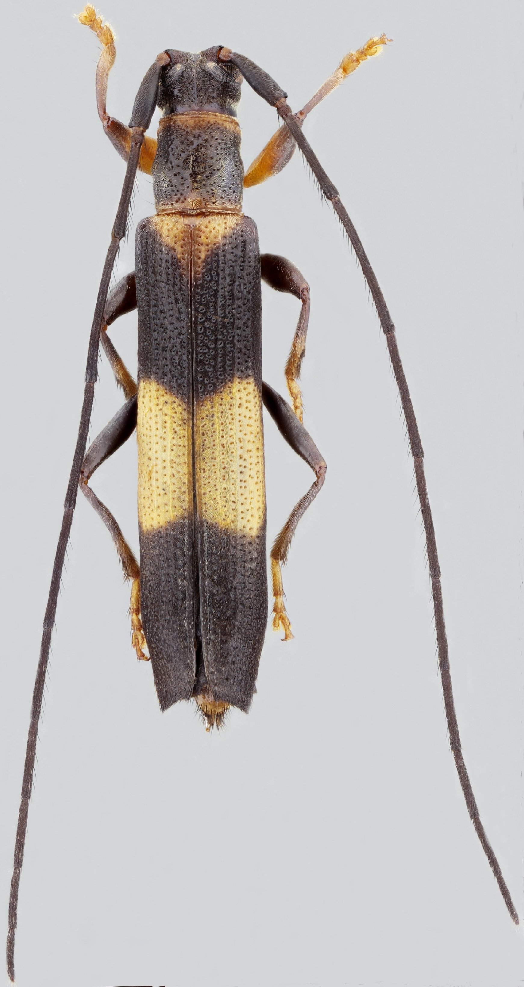
_Audur_SS_MZSP_Pozuzo_Oxapampa_Pasco_Peru_SS.jpg)
Specimen Type: holotype Sex: m Institution: MZSP Museu de Zoologia da Universidade de São Paulo, Brazil Photographer: Antonio Santos-Silva Collection Location: Pozuzo, Oxapampa, Pasco, Peru 69302
|
_Audur_SS_MZSP_Pozuzo_Oxapampa_Pasco_Peru_SS.jpg)
Specimen Type: holotype Sex: m Institution: MZSP Museu de Zoologia da Universidade de São Paulo, Brazil Photographer: Antonio Santos-Silva Collection Location: Pozuzo, Oxapampa, Pasco, Peru 69303
|
_Audur_SS_MZSP_Pozuzo_Oxapampa_Pasco_Peru_SS.jpg)
Specimen Type: holotype Sex: m Institution: MZSP Museu de Zoologia da Universidade de São Paulo, Brazil Photographer: Antonio Santos-Silva Collection Location: Pozuzo, Oxapampa, Pasco, Peru 69304
|
|