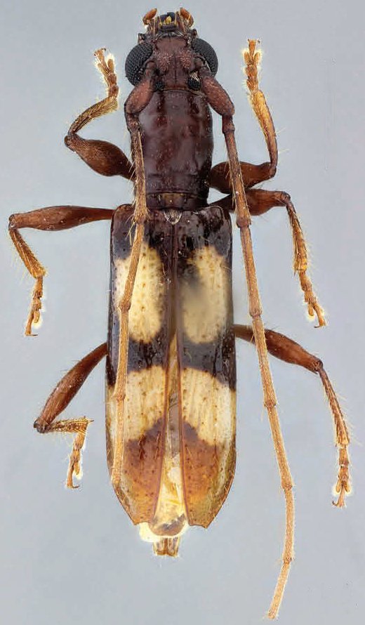
_Garcia_MPUJ_San_Jacinto_Res_La_Flecha_Bolivar_COL_Botero.jpg)
Specimen Type: holotype Sex: f Institution: MPUJ Pontificia Universidad Javeriana, Bogota, Colombia Photographer: Juan Pablo Botero Collection Location: San Jacinto Reserva La Flecha, Bolivar, Colombia 69335
|
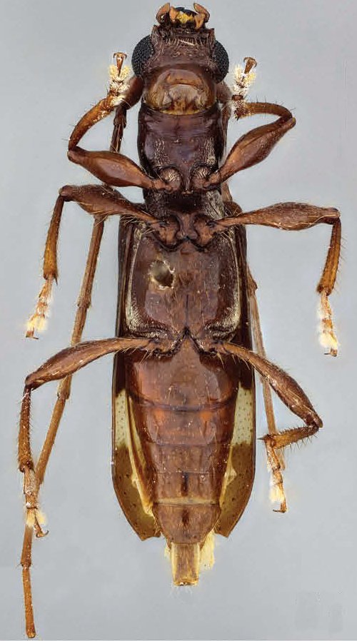
_Garcia_MPUJ_San_Jacinto_Res_La_Flecha_Bolivar_COL_Botero.jpg)
Specimen Type: holotype Sex: f Institution: MPUJ Pontificia Universidad Javeriana, Bogota, Colombia Photographer: Juan Pablo Botero Collection Location: San Jacinto Reserva La Flecha, Bolivar, Colombia 69336
|
_Garcia_MPUJ_San_Jacinto_Res_La_Flecha_Bolivar_COL_Botero.jpg)
Specimen Type: holotype Sex: f Institution: MPUJ Pontificia Universidad Javeriana, Bogota, Colombia Photographer: Juan Pablo Botero Collection Location: San Jacinto Reserva La Flecha, Bolivar, Colombia 69337
|
_Garcia_MPUJ_San_Jacinto_Res_La_Flecha_Bolivar_COL_Botero.jpg)
Specimen Type: holotype Sex: f Institution: MPUJ Pontificia Universidad Javeriana, Bogota, Colombia Photographer: Juan Pablo Botero Collection Location: San Jacinto Reserva La Flecha, Bolivar, Colombia 69338
|
|