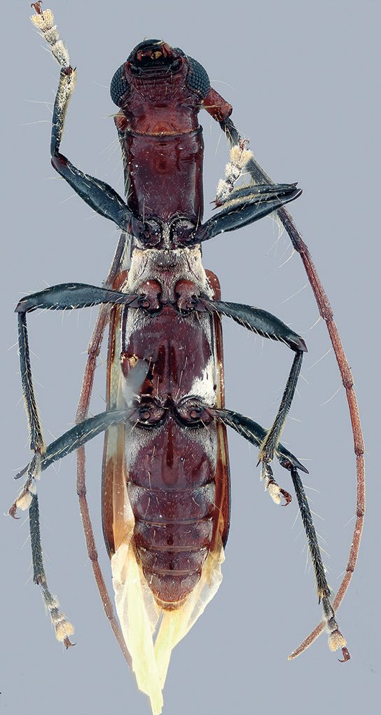
_Garcia_San_Jacinto_Res_LaFlecha_Bolivar_Col_Garcia.jpg)
Specimen Type: holotype Sex: f Institution: MPUJ Pontificia Universidad Javeriana, Bogota, Colombia Photographer: Kim Garcia Collection Location: San Jacinto, Reserva La Flecha, Bolivar, Colombia 69438
|
_Garcia_San_Jacinto_Res_LaFlecha_Bolivar_Col_Garcia.jpg)
Specimen Type: holotype Sex: f Institution: MPUJ Pontificia Universidad Javeriana, Bogota, Colombia Photographer: Kim Garcia Collection Location: San Jacinto, Reserva La Flecha, Bolivar, Colombia 69439
|
_Garcia_San_Jacinto_Res_LaFlecha_Bolivar_Col_Garcia.jpg)
Specimen Type: holotype Sex: f Institution: MPUJ Pontificia Universidad Javeriana, Bogota, Colombia Photographer: Kim Garcia Collection Location: San Jacinto, Reserva La Flecha, Bolivar, Colombia 69440
|
_Garcia_San_Jacinto_Res_LaFlecha_Bolivar_Col_Garcia.jpg)
Specimen Type: holotype Sex: f Institution: MPUJ Pontificia Universidad Javeriana, Bogota, Colombia Photographer: Kim Garcia Collection Location: San Jacinto, Reserva La Flecha, Bolivar, Colombia 69441
|
|