_Bez_SS_CAS_Napo_Galeras_road_km_1-2_Napo_Ec_SS.jpg)
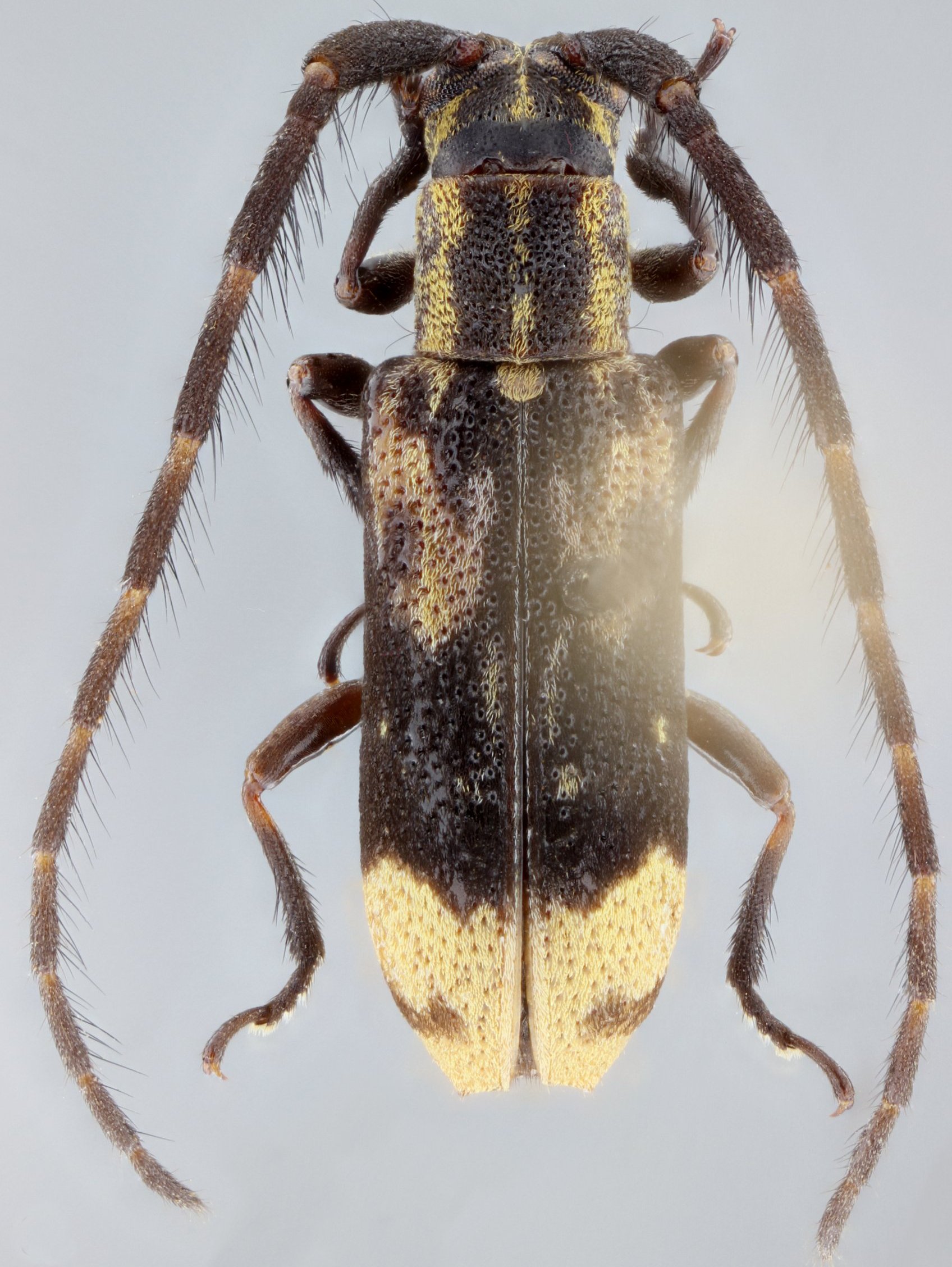
Specimen Type: holotype Sex: m Institution: CAS California Academy of Sciences, San Francisco, CA, USA Photographer: Antonio Santos-Silva Collection Location: Napo Galeras road km 1-2, Napo, Ecuador 69495
|
_Bez_SS_CAS_Napo_Galeras_road_km_1-2_Napo_Ec_SS.jpg)
Specimen Type: holotype Sex: m Institution: CAS California Academy of Sciences, San Francisco, CA, USA Photographer: Antonio Santos-Silva Collection Location: Napo Galeras road km 1-2, Napo, Ecuador 69496
|
_Bez_SS_CAS_Napo_Galeras_road_km_1-2_Napo_Ec_SS.jpg)
Specimen Type: holotype Sex: m Institution: CAS California Academy of Sciences, San Francisco, CA, USA Photographer: Antonio Santos-Silva Collection Location: Napo Galeras road km 1-2, Napo, Ecuador 69497
|
_Bez_SS_CAS_Napo_Galeras_road_km_1-2_Napo_Ec_SS.jpg)
Specimen Type: holotype Sex: m Institution: CAS California Academy of Sciences, San Francisco, CA, USA Photographer: Antonio Santos-Silva Collection Location: Napo Galeras road km 1-2, Napo, Ecuador 69498
|
|