_Nasc_SS_MZSP_PN_Farrallones_deCali_vicEl_Queremal_Valle_deCauca_SS.jpg)
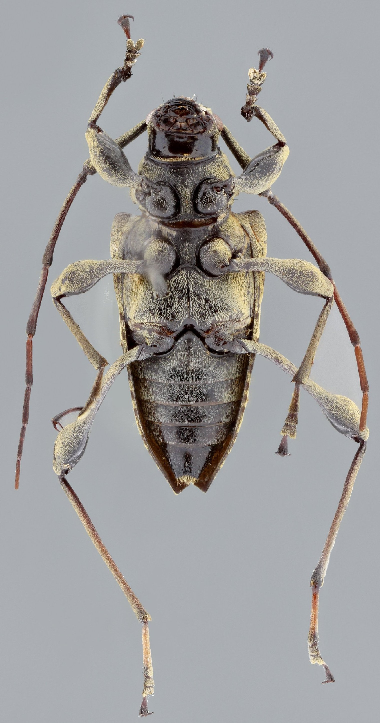
Specimen Type: holotype Sex: m Institution: MZSP Museu de Zoologia da Universidade de São Paulo, Brazil Photographer: Antonio Santos-Silva Collection Location: PN Farrallones de Cali, vic El Queremal, Valle de Cauca, Colombia 69273
|
_Nasc_SS_MZSP_PN_Farrallones_deCali_vicEl_Queremal_Valle_deCauca_SS.jpg)
Specimen Type: holotype Sex: m Institution: MZSP Museu de Zoologia da Universidade de São Paulo, Brazil Photographer: Antonio Santos-Silva Collection Location: PN Farrallones de Cali, vic El Queremal, Valle de Cauca, Colombia 69274
|
_Nasc_SS_MZSP_PN_Farrallones_deCali_vicEl_Queremal_Valle_deCauca_SS.jpg)
Specimen Type: holotype Sex: m Institution: MZSP Museu de Zoologia da Universidade de São Paulo, Brazil Photographer: Antonio Santos-Silva Collection Location: PN Farrallones de Cali, vic El Queremal, Valle de Cauca, Colombia 69275
|
_Nasc_SS_MZSP_PN_Farrallones_deCali_vicEl_Queremal_Valle_deCauca_SS.jpg)
Specimen Type: holotype Sex: m Institution: MZSP Museu de Zoologia da Universidade de São Paulo, Brazil Photographer: Antonio Santos-Silva Collection Location: PN Farrallones de Cali, vic El Queremal, Valle de Cauca, Colombia 69276
|
|