_Nasc_SS_MZSP_vicMorro_Ventanas_NE_Bucaramanga_Sant_COL_SS.jpg)
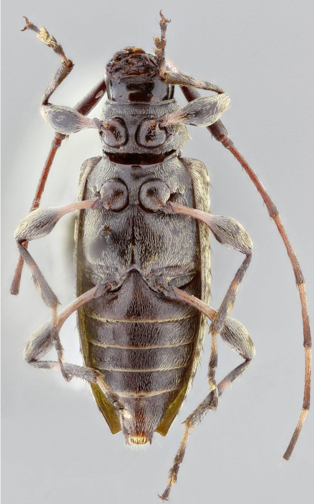
Specimen Type: holotype Sex: f Institution: MZSP Museu de Zoologia da Universidade de São Paulo, Brazil Photographer: Antonio Santos-Silva Collection Location: vic Morro Ventanas, NE Bucaramanga, Santander, Colombia 69269
|
_Nasc_SS_MZSP_vicMorro_Ventanas_NE_Bucaramanga_Sant_COL_SS.jpg)
Specimen Type: holotype Sex: f Institution: MZSP Museu de Zoologia da Universidade de São Paulo, Brazil Photographer: Antonio Santos-Silva Collection Location: vic Morro Ventanas, NE Bucaramanga, Santander, Colombia 69270
|
_Nasc_SS_MZSP_vicMorro_Ventanas_NE_Bucaramanga_Sant_COL_SS.jpg)
Specimen Type: holotype Sex: f Institution: MZSP Museu de Zoologia da Universidade de São Paulo, Brazil Photographer: Antonio Santos-Silva Collection Location: vic Morro Ventanas, NE Bucaramanga, Santander, Colombia 69271
|
_Nasc_SS_MZSP_vicMorro_Ventanas_NE_Bucaramanga_Sant_COL_SS.jpg)
Specimen Type: holotype Sex: f Institution: MZSP Museu de Zoologia da Universidade de São Paulo, Brazil Photographer: Antonio Santos-Silva Collection Location: vic Morro Ventanas, NE Bucaramanga, Santander, Colombia 69272
|
|