_SS_Nasc_Biffi_MZSP_Selviria_Unesp_Farm_Mato_Grosso_do_Sul_SS.jpg)
Specimen Type: holotype Sex: m Institution: MZSP Museu de Zoologia da Universidade de São Paulo, Brazil Photographer: Antonio Santos-Silva Collection Location: Selviria, Unesp Farm, Mato Grosso do Sul, Brazil 69112
|
_SS_Nasc_Biffi_MZSP_Selviria_Unesp_Farm_Mato_Grosso_do_Sul_SS.jpg)
Specimen Type: holotype Sex: m Institution: MZSP Museu de Zoologia da Universidade de São Paulo, Brazil Photographer: Antonio Santos-Silva Collection Location: Selviria, Unesp Farm, Mato Grosso do Sul, Brazil 69113
|
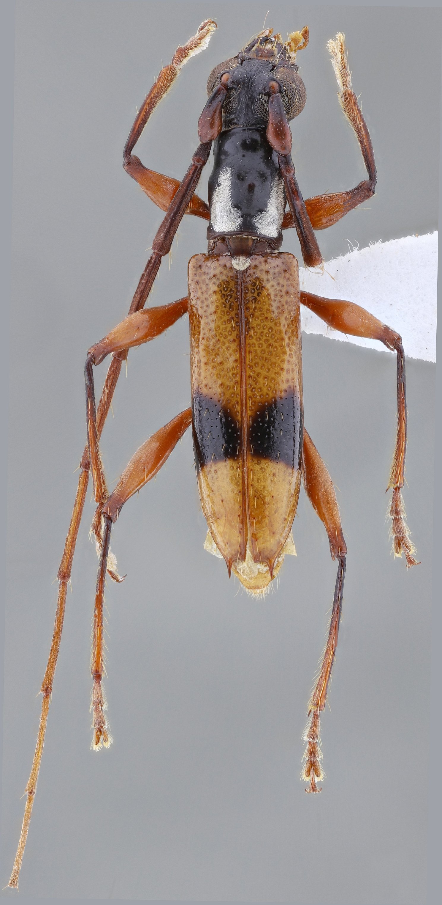
_SS_Nasc_Biffi_MZSP_Selviria_Unesp_Farm_Mato_Grosso_do_Sul_SS.jpg)
Specimen Type: holotype Sex: m Institution: MZSP Museu de Zoologia da Universidade de São Paulo, Brazil Photographer: Antonio Santos-Silva Collection Location: Selviria, Unesp Farm, Mato Grosso do Sul, Brazil 69114
|
_SS_Nasc_Biffi_MZSP_Selviria_Unesp_Farm_Mato_Grosso_do_Sul_SS.jpg)
Specimen Type: holotype Sex: m Institution: MZSP Museu de Zoologia da Universidade de São Paulo, Brazil Photographer: Antonio Santos-Silva Collection Location: Selviria, Unesp Farm, Mato Grosso do Sul, Brazil 69115
|

Sex: m Institution: MEFE Museu de Ent da Faculdade de Engenharia de Ilha Solteira, Univ Estadual, Sao Paolo, Brazil Photographer: Antonio Santos-Silva Collection Location: Fazenda Grama, Capinopolis, Minas Gerais, Brazil 90060
|
|