_Holzschuh_Coll_Tura_West_Garo_Hills_Meghalaya_state_NE_India_Demb.jpg)
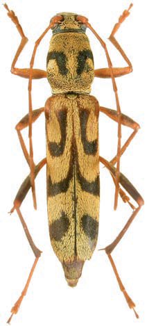
Specimen Type: holotype Sex: m Institution: Holzschuh Collection Photographer: Lubo Dembický Collection Location: Tura West, Garo Hills, Meghalaya state, NE India 69098
|
_Holzschuh_Coll_Tura_West_Garo_Hills_Meghalaya_state_NE_India_Demb.jpg)
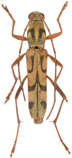
Specimen Type: paratype Sex: f Institution: Holzschuh Collection Photographer: Lubo Dembický Collection Location: Tura West, Garo Hills, Meghalaya state, NE India 69099
|