New Search Family, Subfamily and Tribe List

SubFamily Cerambycinae

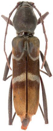
Tribe Clytini
Demonax antiquus Holzschuh 2018

Specimen Type: holotype
Sex: f
Institution: Holzschuh Collection
Photographer: Luboš Dembický
Collection Location: Ruby Mines, Myanmar
69092

130425