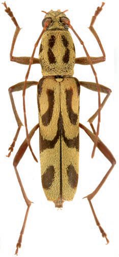
_Holzschuh_Coll_20kmNW_Louang_Namtha_N_Laos_Demb.jpg)
Specimen Type: holotype Sex: m Institution: Holzschuh Collection Photographer: Lubo Dembický Collection Location: 20 km NW Louang Namtha, Northern Laos 69100
|
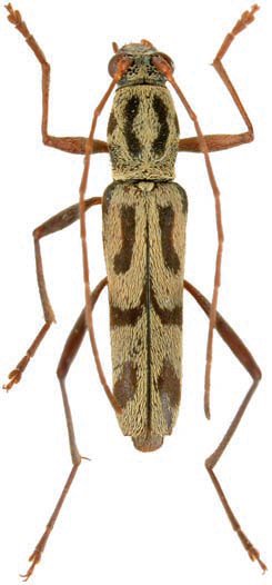
_Holzschuh_Coll_20kmNW_Louang_Namtha_N_Laos_Demb.jpg)
Specimen Type: paratype Sex: f Institution: Holzschuh Collection Photographer: Lubo Dembický Collection Location: 20 km NW Louang Namtha, Northern Laos 69101
|