New Search Family, Subfamily and Tribe List

SubFamily Cerambycinae

Tribe Clytini
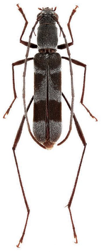
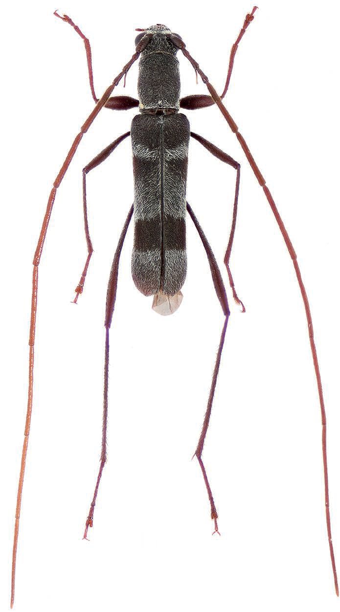
Chaetopsilomerus hainanensis Niisato & Han 2017

Sex: m
Institution: Niisato Collection
Collection Location: Mt Jianfengling, Hainan, China
69041


Sex: f
Institution: Bin Insect Taxonomy Studio, Beijing, China
Collection Location: Mt Jianfengling, Hainan, China
69042

130425