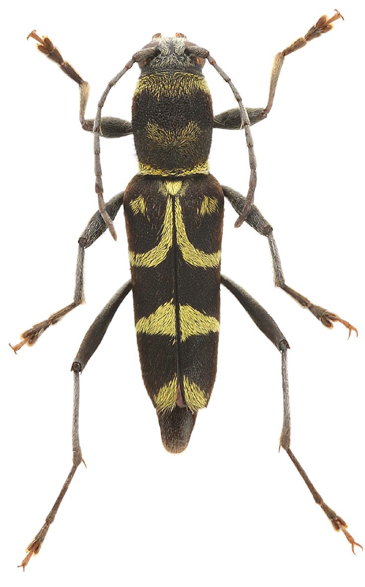
_Viktora_Coll_Mang_Den_Kon Tum_Vietnam_Roman Hergovits.jpg)
Specimen Type: holotype Sex: m Institution: Viktora Collection Photographer: Roman Hergovits Collection Location: Mang Den, Kon Tum, Vietnam 69028
|
_Viktora_Coll_Mang_Den_Kon Tum_Vietnam_Roman Hergovits.jpg)
Specimen Type: paratype Sex: f Institution: Viktora Collection Photographer: Roman Hergovits Collection Location: Mang Den, Kon Tum, Vietnam 69029
|