New Search Family, Subfamily and Tribe List

SubFamily Cerambycinae

Tribe Clytini
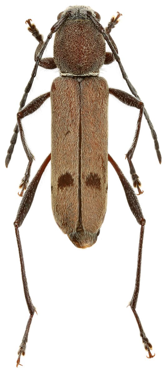
Perissus profestus Viktora 2019

Specimen Type: holotype
Sex: m
Institution: Viktora Collection
Photographer: Roman Hergovits
Collection Location: Di Linh, Lam Dong, Vietnam
69026

130425