New Search Family, Subfamily and Tribe List

SubFamily Cerambycinae

Tribe Clytini
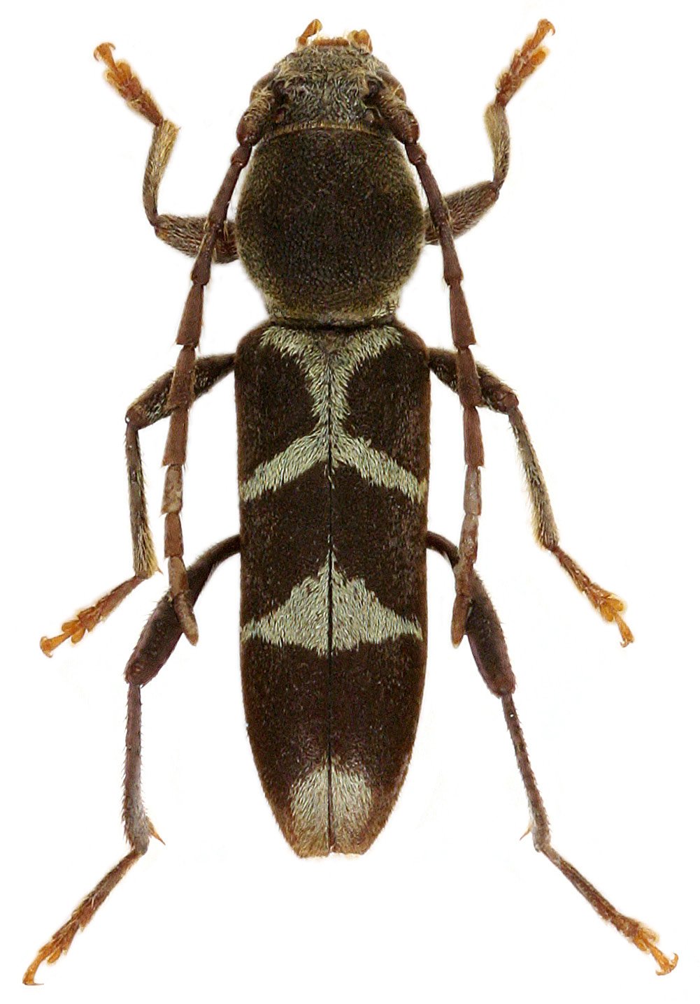
Perissus gontrani Viktora 2019

Specimen Type: holotype
Sex: f
Institution: Viktora Collection
Photographer: Roman Hergovits
Collection Location: Ranau, Sabah, Borneo
69024

130425