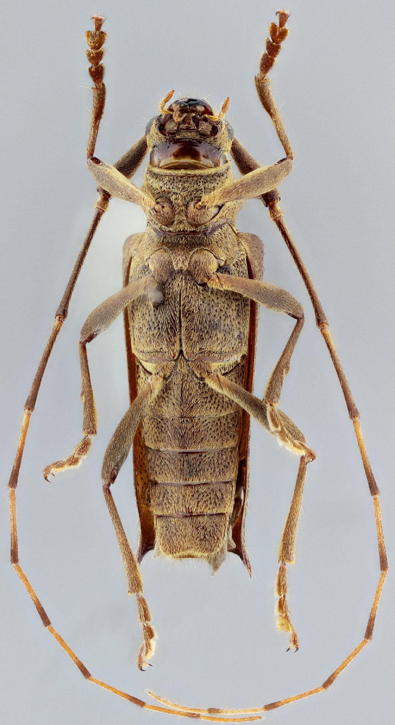
_SS_Nasc_MZSP_SierraNevada_deSanta_maria_8kmN_PuebloBello_Cesar_Col.jpg)
Specimen Type: holotype Sex: m Institution: MZSP Museu de Zoologia da Universidade de São Paulo, Brazil Photographer: Antonio Santos-Silva Collection Location: Sierra Nevada de Santa Maria, 8 km N Pueblo Bello, Cesar, Colombia 68954
|
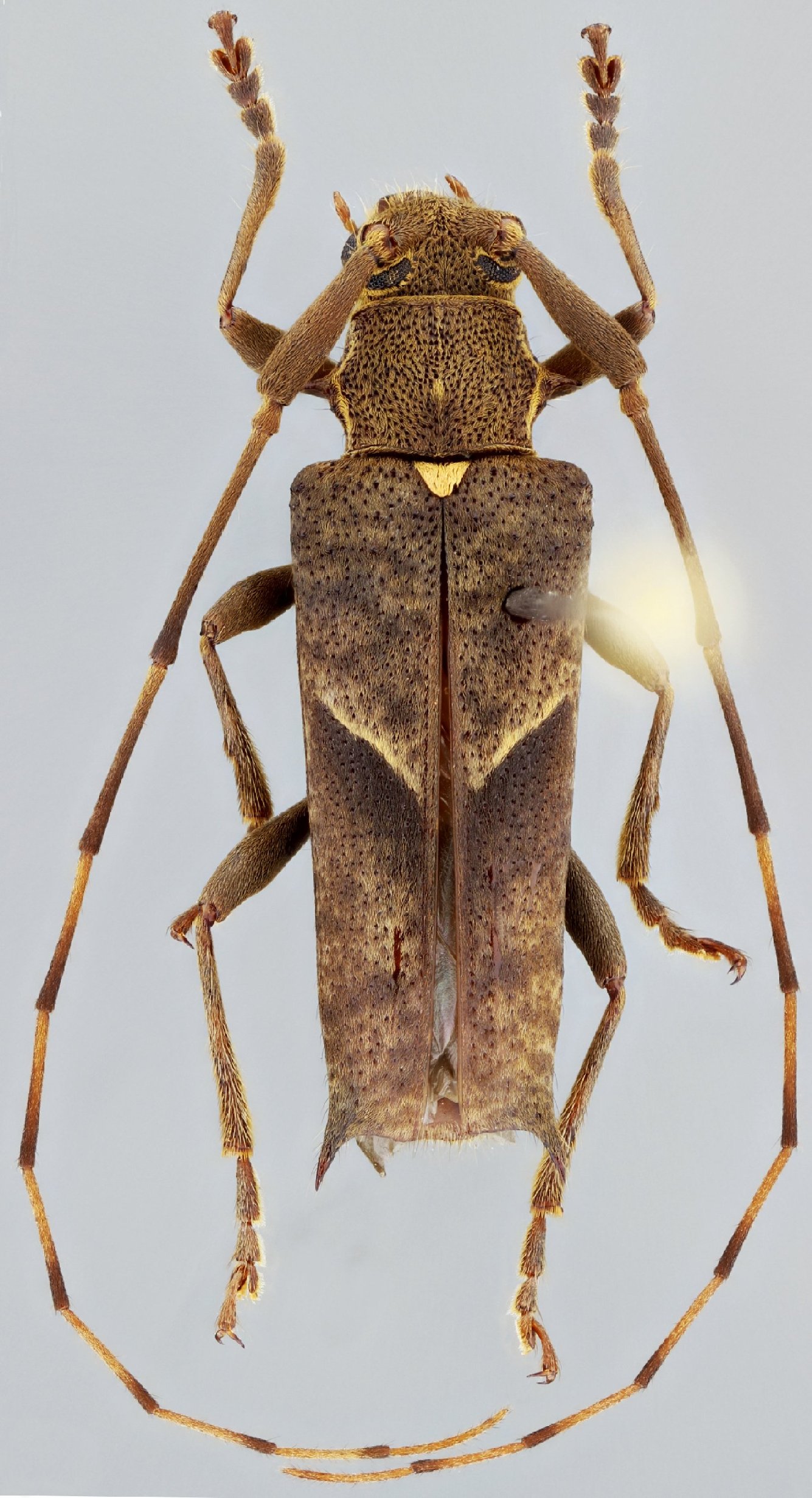
_SS_Nasc_MZSP_SierraNevada_deSanta_maria_8kmN_PuebloBello_Cesar_Col.jpg)
Specimen Type: holotype Sex: m Institution: MZSP Museu de Zoologia da Universidade de São Paulo, Brazil Photographer: Antonio Santos-Silva Collection Location: Sierra Nevada de Santa Maria, 8 km N Pueblo Bello, Cesar, Colombia 68955
|
_SS_Nasc_MZSP_SierraNevada_deSanta_maria_8kmN_PuebloBello_Cesar_Col.jpg)
Specimen Type: holotype Sex: m Institution: MZSP Museu de Zoologia da Universidade de São Paulo, Brazil Photographer: Antonio Santos-Silva Collection Location: Sierra Nevada de Santa Maria, 8 km N Pueblo Bello, Cesar, Colombia 68956
|
_SS_Nasc_MZSP_SierraNevada_deSanta_maria_8kmN_PuebloBello_Cesar_Col.jpg)
Specimen Type: holotype Sex: m Institution: MZSP Museu de Zoologia da Universidade de São Paulo, Brazil Photographer: Antonio Santos-Silva Collection Location: Sierra Nevada de Santa Maria, 8 km N Pueblo Bello, Cesar, Colombia 68957
|
|