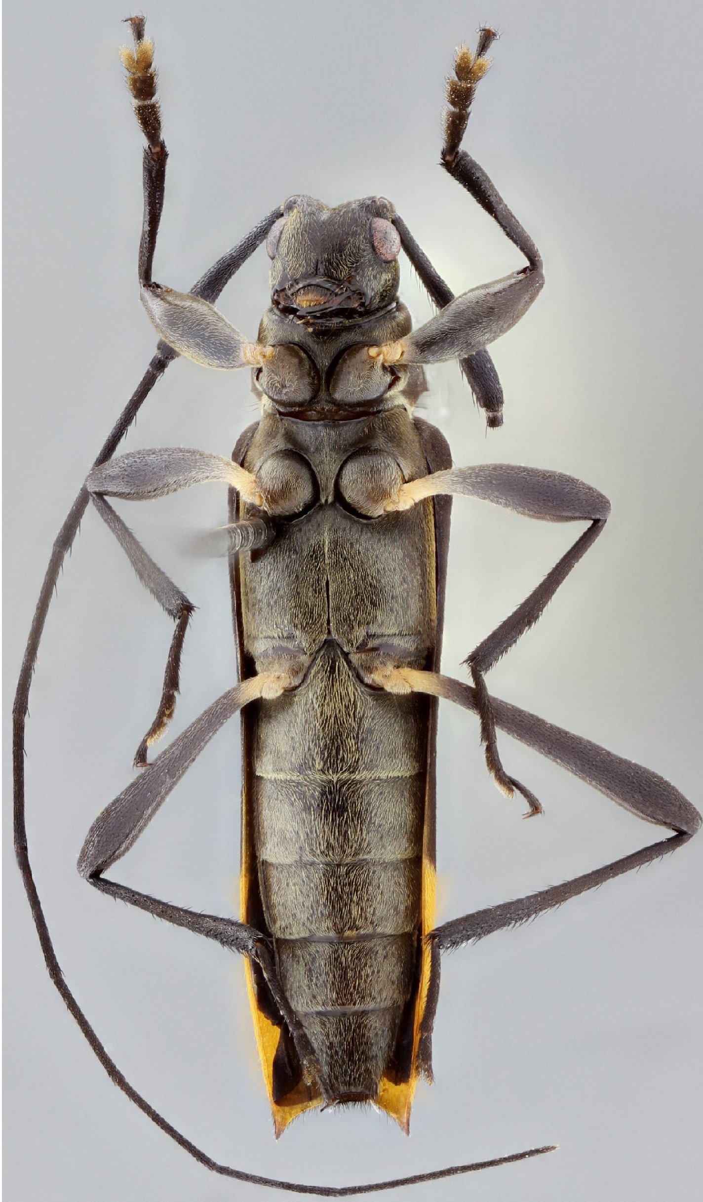
_SS_Nasc_MZSP_Palestina_Parq_Nac_Cueva_de_los_Guacharos_Huila_Col_SS.jpg)
Specimen Type: holotype Sex: m Institution: MZSP Museu de Zoologia da Universidade de São Paulo, Brazil Photographer: Antonio Santos-Silva Collection Location: Palestina, Parque Nacional Cueva de los Guacharos, Huila, Colombia 69016
|
_SS_Nasc_MZSP_Palestina_Parq_Nac_Cueva_de_los_Guacharos_Huila_Col_SS.jpg)
Specimen Type: holotype Sex: m Institution: MZSP Museu de Zoologia da Universidade de São Paulo, Brazil Photographer: Antonio Santos-Silva Collection Location: Palestina, Parque Nacional Cueva de los Guacharos, Huila, Colombia 69017
|
_SS_Nasc_MZSP_Palestina_Parq_Nac_Cueva_de_los_Guacharos_Huila_Col_SS.jpg)
Specimen Type: holotype Sex: m Institution: MZSP Museu de Zoologia da Universidade de São Paulo, Brazil Photographer: Antonio Santos-Silva Collection Location: Palestina, Parque Nacional Cueva de los Guacharos, Huila, Colombia 69018
|
_SS_Nasc_MZSP_Palestina_Parq_Nac_Cueva_de_los_Guacharos_Huila_Col_SS.jpg)
Specimen Type: holotype Sex: m Institution: MZSP Museu de Zoologia da Universidade de São Paulo, Brazil Photographer: Antonio Santos-Silva Collection Location: Palestina, Parque Nacional Cueva de los Guacharos, Huila, Colombia 69019
|
|