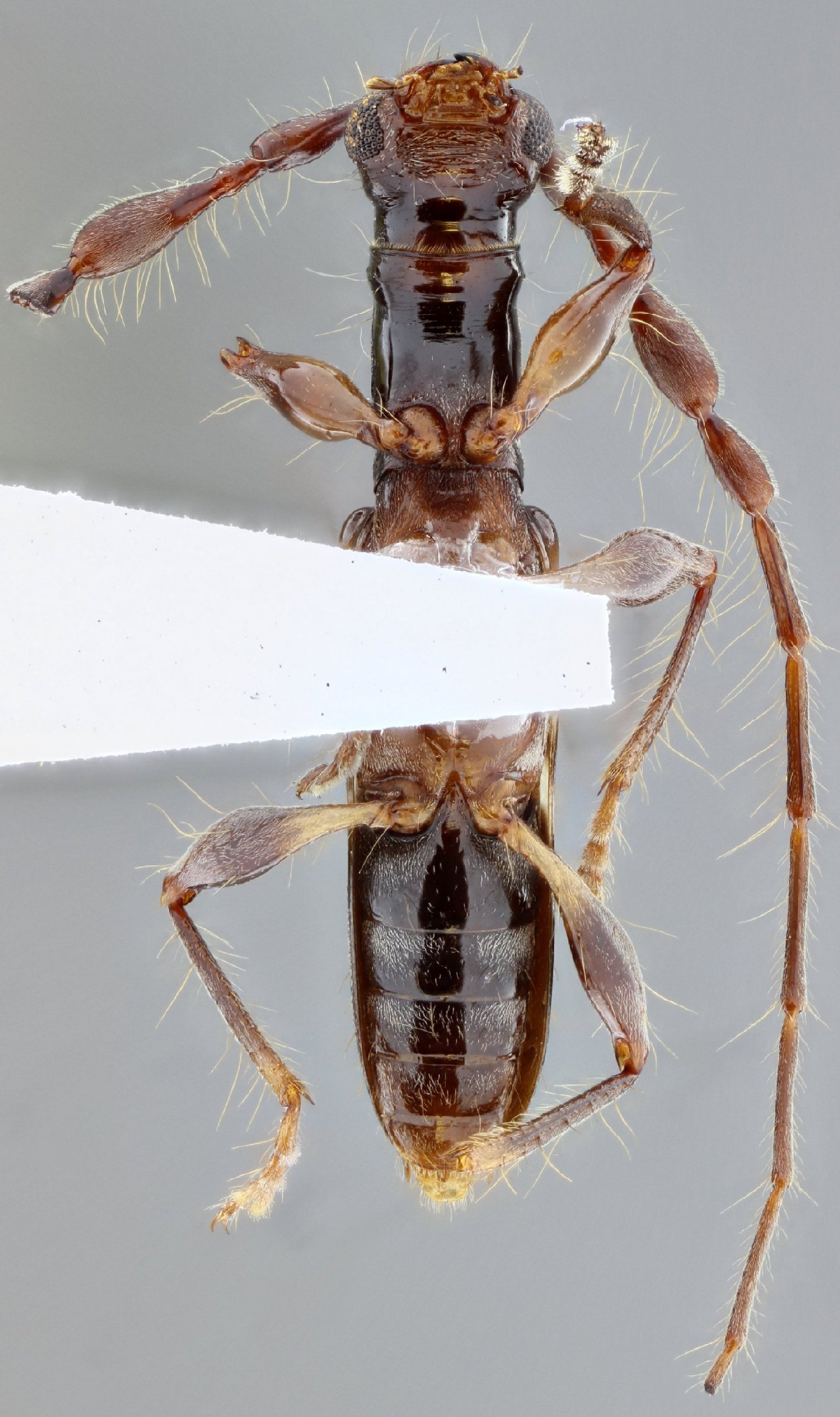
_SS_Nasc_MZSP_25kmSW_Gigante_Huila_Colombia_SS.jpg)
Specimen Type: holotype Sex: m Institution: MZSP Museu de Zoologia da Universidade de São Paulo, Brazil Photographer: Antonio Santos-Silva Collection Location: 25 km SW Gigante, Huila, Colombia 68967
|
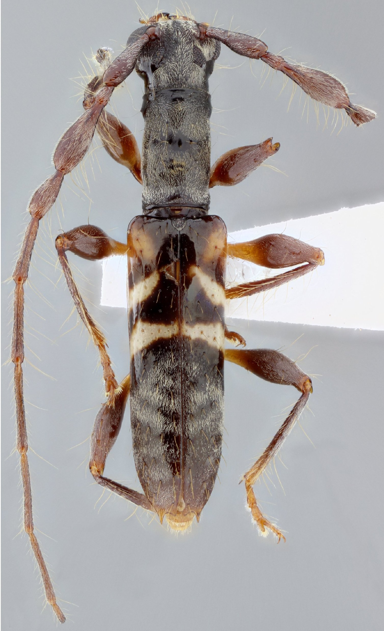
_SS_Nasc_MZSP_25kmSW_Gigante_Huila_Colombia_SS.jpg)
Specimen Type: holotype Sex: m Institution: MZSP Museu de Zoologia da Universidade de São Paulo, Brazil Photographer: Antonio Santos-Silva Collection Location: 25 km SW Gigante, Huila, Colombia 68968
|
_SS_Nasc_MZSP_25kmSW_Gigante_Huila_Colombia_SS.jpg)
Specimen Type: holotype Sex: m Institution: MZSP Museu de Zoologia da Universidade de São Paulo, Brazil Photographer: Antonio Santos-Silva Collection Location: 25 km SW Gigante, Huila, Colombia 68969
|
_SS_Nasc_MZSP_25kmSW_Gigante_Huila_Colombia_SS.jpg)
Specimen Type: holotype Sex: m Institution: MZSP Museu de Zoologia da Universidade de São Paulo, Brazil Photographer: Antonio Santos-Silva Collection Location: 25 km SW Gigante, Huila, Colombia 68970
|
|