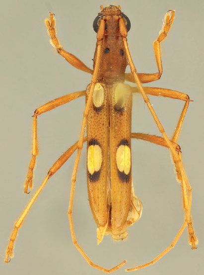
_Garcia_MPUJ_Res_La_Flecha_San_Jacinto_Bolivar_Co_JPB.jpg)
Specimen Type: holotype Sex: m Institution: Pontificia Universidad Javeriana, Bogota, Colombia Photographer: Juan Pablo Botero Collection Location: Reserva La Flecha, San Jacinto, Bolivar, Colombia 68757
|
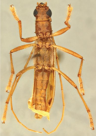
_Garcia_MPUJ_Res_La_Flecha_San_Jacinto_Bolivar_Co_JPB.jpg)
Specimen Type: holotype Sex: m Institution: Pontificia Universidad Javeriana, Bogota, Colombia Photographer: Juan Pablo Botero Collection Location: Reserva La Flecha, San Jacinto, Bolivar, Colombia 68758
|
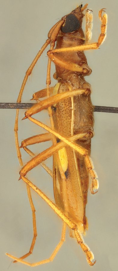
_Garcia_MPUJ_Res_La_Flecha_San_Jacinto_Bolivar_Co_JPB.jpg)
Specimen Type: holotype Sex: m Institution: Pontificia Universidad Javeriana, Bogota, Colombia Photographer: Juan Pablo Botero Collection Location: Reserva La Flecha, San Jacinto, Bolivar, Colombia 68759
|
|