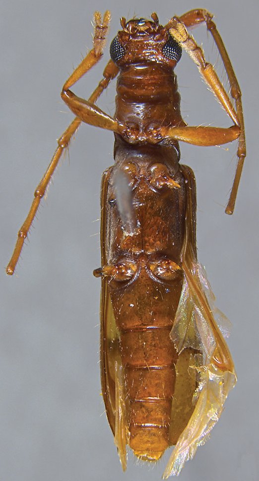
_Garcia_MPUJ_Res_La_Flecha_San_Jacinto_Bolivar_Co_JPB.jpg)
Specimen Type: holotype Sex: f Institution: Pontificia Universidad Javeriana, Bogota, Colombia Photographer: Juan Pablo Botero Collection Location: Reserva La Flecha, San Jacinto, Bolivar, Colombia 68752
|
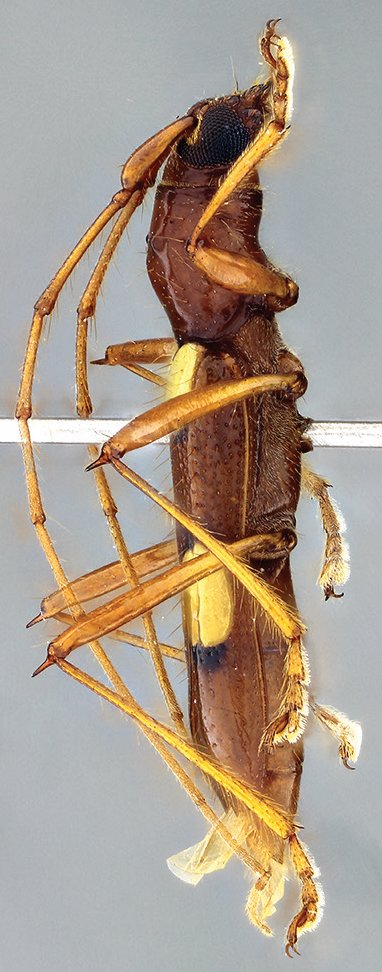
_Garcia_MPUJ_Res_La_Flecha_San_Jacinto_Bolivar_Co_JPB.jpg)
Specimen Type: holotype Sex: f Institution: Pontificia Universidad Javeriana, Bogota, Colombia Photographer: Juan Pablo Botero Collection Location: Reserva La Flecha, San Jacinto, Bolivar, Colombia 68753
|
_Garcia_MPUJ_Res_La_Flecha_San_Jacinto_Bolivar_Co_JPB.jpg)
Specimen Type: holotype Sex: f Institution: Pontificia Universidad Javeriana, Bogota, Colombia Photographer: Juan Pablo Botero Collection Location: Reserva La Flecha, San Jacinto, Bolivar, Colombia 68754
|
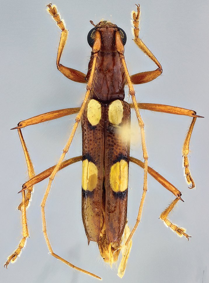
_Garcia_UARC_Res_La_Flecha_San_Jacinto_Bolivar_Co_JPB.jpg)
Specimen Type: paratype Sex: m Institution: Univ del Atlántico Reg Caribe, Atlántico, Colombia Photographer: Juan Pablo Botero Collection Location: Reserva La Flecha, San Jacinto, Bolivar, Colombia 68755
|
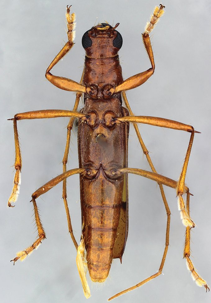
_Garcia_UARC_Res_La_Flecha_San_Jacinto_Bolivar_Co_JPB.jpg)
Specimen Type: paratype Sex: m Institution: Univ del Atlántico Reg Caribe, Atlántico, Colombia Photographer: Juan Pablo Botero Collection Location: Reserva La Flecha, San Jacinto, Bolivar, Colombia 68756
|
|