_Tava_SS_MNHN_Saul_French_Guiana_SS.jpg)
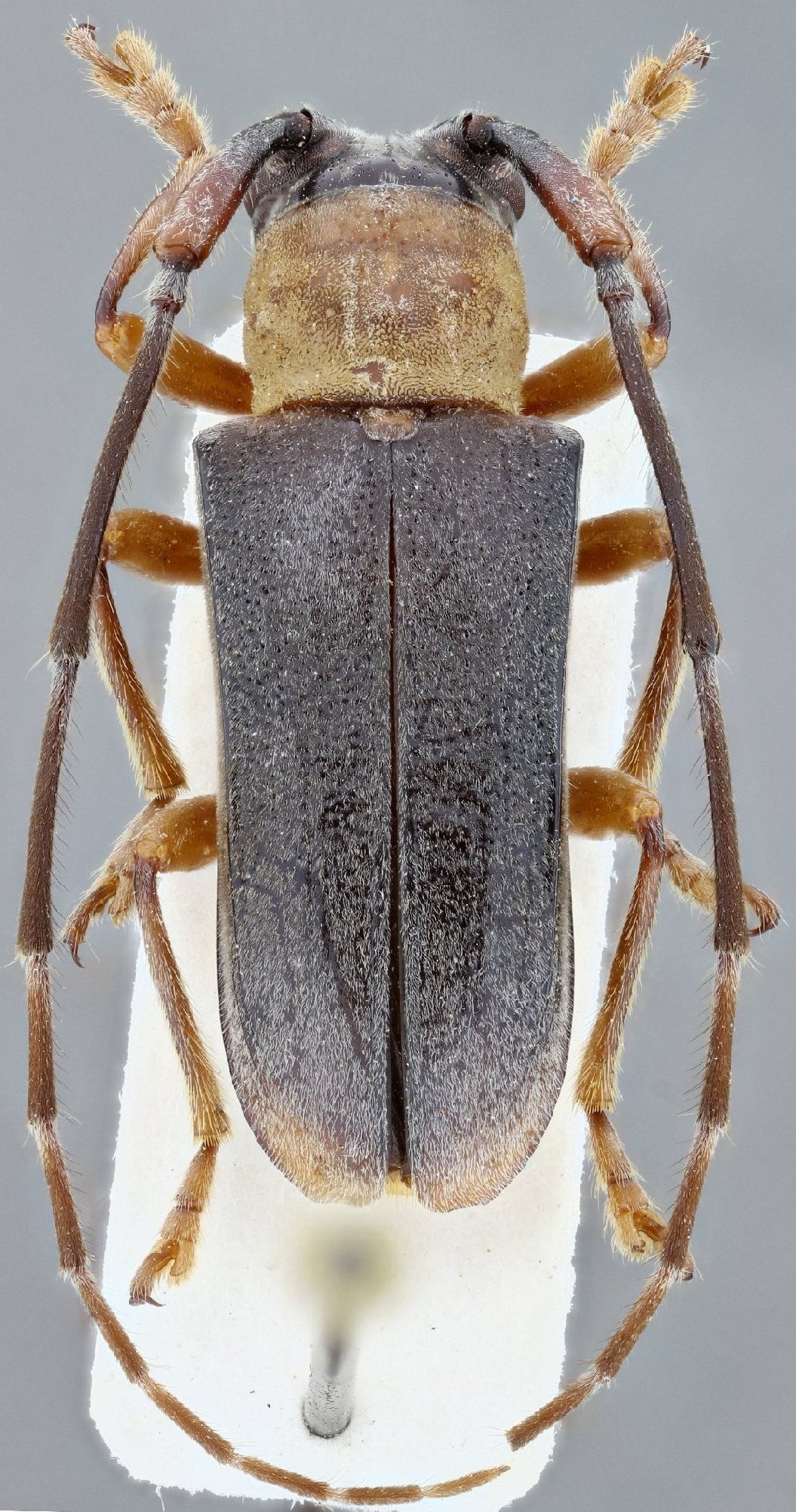
Specimen Type: holotype Sex: m Institution: MNHN Museum of Natural History Paris, France Photographer: Antonio Santos-Silva Collection Location: Saul, French Guiana 68652
|
_Tava_SS_MNHN_Saul_French_Guiana_SS.jpg)
Specimen Type: holotype Sex: m Institution: MNHN Museum of Natural History Paris, France Photographer: Antonio Santos-Silva Collection Location: Saul, French Guiana 68653
|