_Tava_SS_MNHN_Route_de_Kaw_pk30_Fr G_SS.jpg)
Specimen Type: holotype Sex: m Institution: MNHN Museum of Natural History Paris, France Photographer: Antonio Santos-Silva Collection Location: Route de Kaw, pk 30, French Guiana 68638
|
_Tava_SS_MNHN_Route_de_Kaw_pk30_Fr G_SS.jpg)
Specimen Type: holotype Sex: m Institution: MNHN Museum of Natural History Paris, France Photographer: Antonio Santos-Silva Collection Location: Route de Kaw, pk 30, French Guiana 68639
|
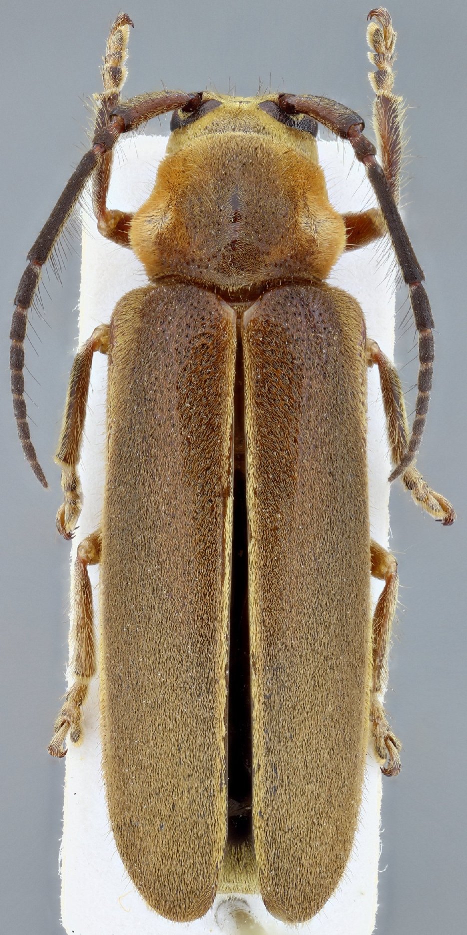
_Tava_SS_MNHN_Route_de_Kaw_pk30_Fr G_SS.jpg)
Specimen Type: holotype Sex: m Institution: MNHN Museum of Natural History Paris, France Photographer: Antonio Santos-Silva Collection Location: Route de Kaw, pk 30, French Guiana 68640
|
|