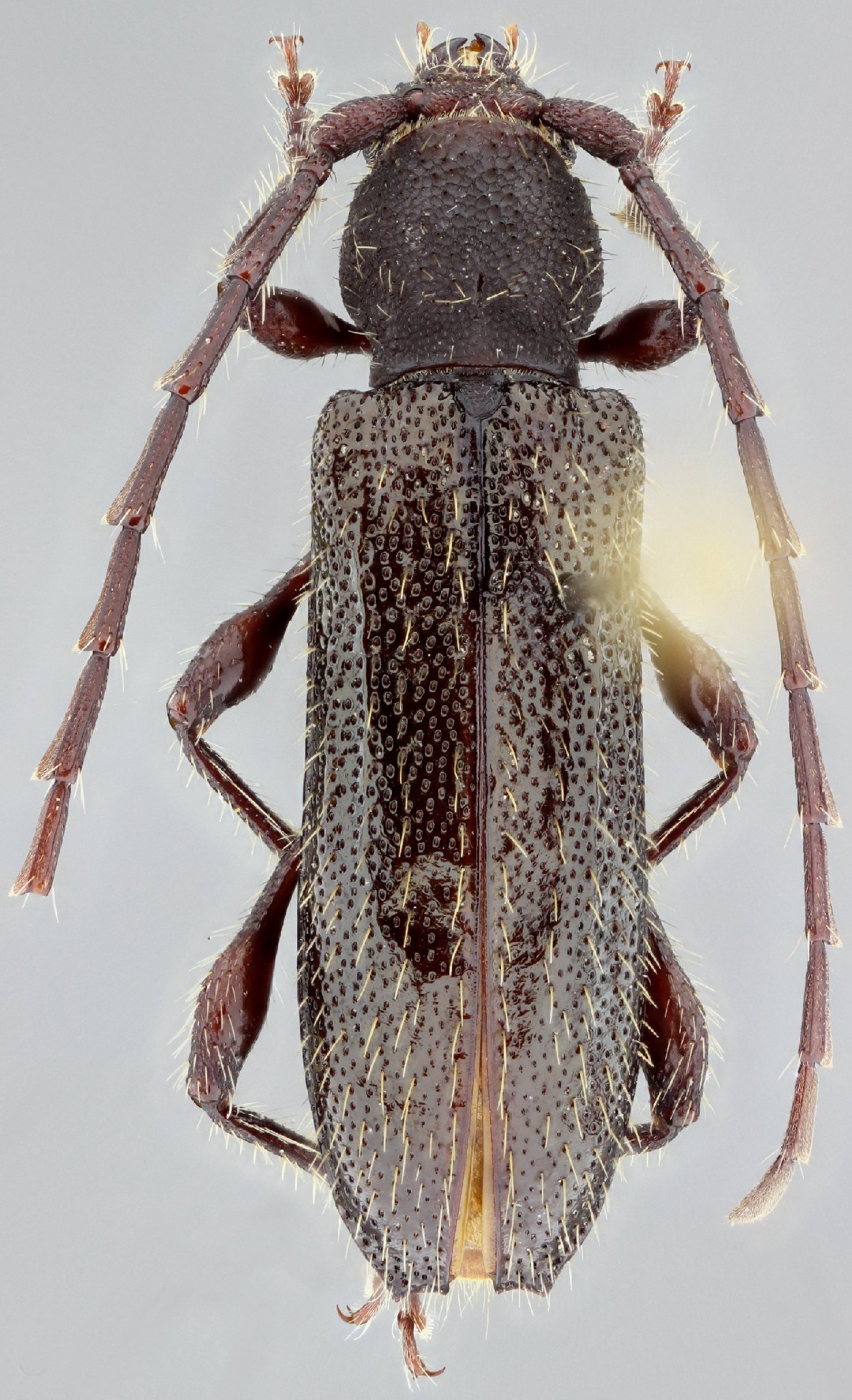
_Wappes_FSCA_83kmN_Camiri_Rd_to_Itai_SC_Bol_SS.jpg)
Specimen Type: holotype Sex: f Institution: FSCA Florida State Collection of Arthropods, Gainesville, FL, USA Photographer: Antonio Santos-Silva Collection Location: 83 km N Camiri Road to Itai, Santa Cruz, Bolivia 68604
|
_Wappes_FSCA_83kmN_Camiri_Rd_to_Itai_SC_Bol_SS.jpg)
Specimen Type: holotype Sex: f Institution: FSCA Florida State Collection of Arthropods, Gainesville, FL, USA Photographer: Antonio Santos-Silva Collection Location: 83 km N Camiri Road to Itai, Santa Cruz, Bolivia 68605
|
_Wappes_FSCA_83kmN_Camiri_Rd_to_Itai_SC_Bol_SS.jpg)
Specimen Type: holotype Sex: f Institution: FSCA Florida State Collection of Arthropods, Gainesville, FL, USA Photographer: Antonio Santos-Silva Collection Location: 83 km N Camiri Road to Itai, Santa Cruz, Bolivia 68606
|
_Wappes_FSCA_83kmN_Camiri_Rd_to_Itai_SC_Bol_SS.jpg)
Specimen Type: holotype Sex: f Institution: FSCA Florida State Collection of Arthropods, Gainesville, FL, USA Photographer: Antonio Santos-Silva Collection Location: 83 km N Camiri Road to Itai, Santa Cruz, Bolivia 68607
|
|